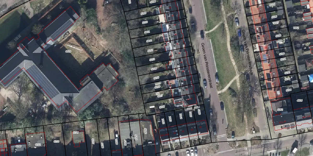
Perceel
Oppervlakte
225 m²
Aantal adressen
Aanduiding
AHM01-Q-5215 - Arnhem
Verkocht in
2007 - Verkoopprijs opvragen
Eigendom
Eigenaar
Eigenaar opvragen
Type eigenaar
e9BSttyW6vJJ17JDX rtmWg4MJgUpgrade naar KadastraleKaart Pro
Appartementsrechten
Identificatie
v1lA8wRxrmI Upgrade naar KadastraleKaart Pro
Gerelateerde percelen
Aanduiding
77ZArZWWXV8Ac4GccHfOxlUpgrade naar KadastraleKaart Pro
Ligging
Meer functies

Percelen
Gebruik de zoekbalk of klik op een perceel om informatie over het perceel te bekijken.