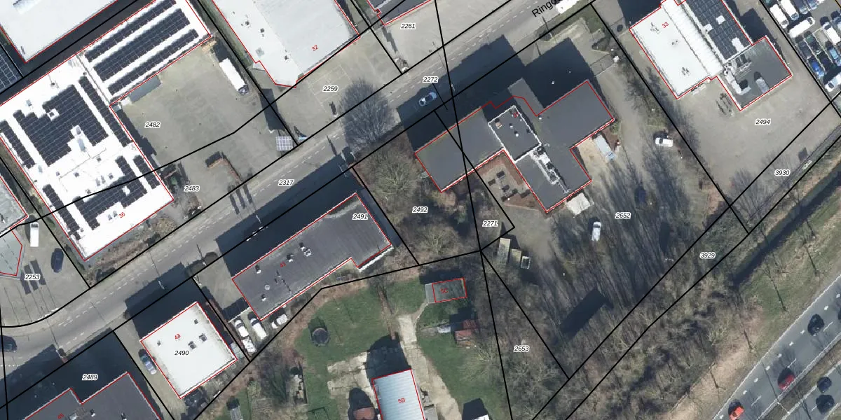
Perceel: AHM01-T-2492
Geen adressen bij dit perceel
659 m2 - 103 m
Eigenaar opvragen
AHM01-T-2492 (Arnhem)
- Geen postcode aanwezig
Udp2g9gQSMUxAnljGhvFpCSSUpgrade naar KadastraleKaart Pro
Bekijk op Street View
Download DWG/DXF/Excel
OPcvlTurNSSe47POIufZuGUpgrade naar KadastraleKaart Pro
GK52goE7z FSUpgrade naar KadastraleKaart Pro
1qq 0EoKW1Upgrade naar KadastraleKaart Pro
QGQqXY7h6zGot9yx8Z1Rb Upgrade naar KadastraleKaart Pro
17Qx ZrjXV Q7wRGrGa ilUpgrade naar KadastraleKaart Pro
KSuF19wp AiUpgrade naar KadastraleKaart Pro
Pr1ZIyR XBrMDOXKeUpgrade naar KadastraleKaart Pro
g f fxS fA6yXIFqTUpgrade naar KadastraleKaart Pro
LvUnw8MEUpgrade naar KadastraleKaart Pro
Q3IKttFKUpgrade naar KadastraleKaart Pro
25/06/2003

Percelen
Gebruik de zoekbalk of klik op een perceel om informatie over het perceel te bekijken.