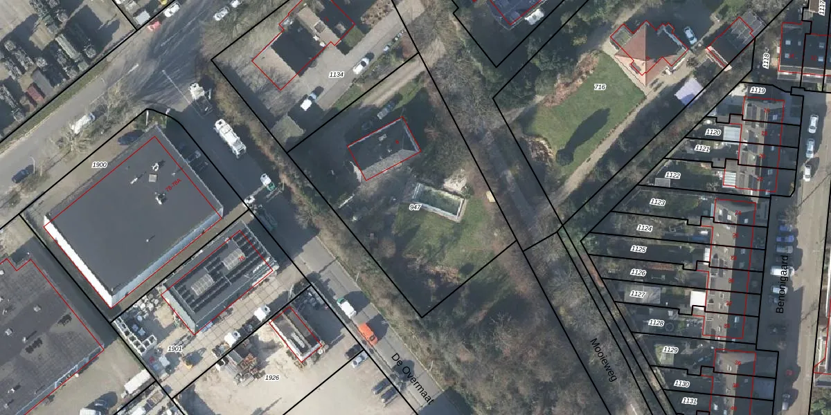
Perceel: AHM01-W-947
KadastraleKaart.com kan meer dan je denktOntdek meer ›
Filter op bestemming 50+ datasets Eigendomsdata in één klik Percelen CRM
1.870 m2 - 172 m
Eigenaar opvragen
AHM01-W-947 (Arnhem)
- 6831 AD
ZUQr7gpQiE G5JE9LUpgrade naar KadastraleKaart Pro
Verkoopprijs opvragen
Bekijk op Street View
Download DWG/DXF/Excel
tuxh17RFroUpgrade naar KadastraleKaart Pro
SsfogmMooM4RT2ql2HHFnXUpgrade naar KadastraleKaart Pro
Ra7DtUh6sjk2QkQUpgrade naar KadastraleKaart Pro
u 8dlXrIL9ZUpgrade naar KadastraleKaart Pro
oqM mXjXekT7KYG0Pc82oxUpgrade naar KadastraleKaart Pro
eZN9JmAqzIx3FMIjjTUpgrade naar KadastraleKaart Pro
esKDzht8Upgrade naar KadastraleKaart Pro
OgYXG 7 QL01exT8Upgrade naar KadastraleKaart Pro
gRr3IG5irxCDfqhhqdMUpgrade naar KadastraleKaart Pro
x7pHjKUU mHCvQvUpgrade naar KadastraleKaart Pro
22/02/2011

Percelen
Gebruik de zoekbalk of klik op een perceel om informatie over het perceel te bekijken.