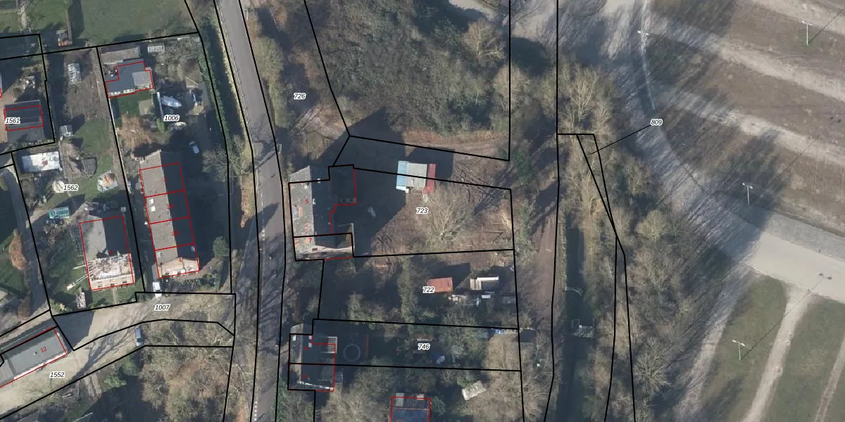
Perceel: AHM02-AA-723
KadastraleKaart.com kan meer dan je denktOntdek meer ›
Filter op bestemming 50+ datasets Eigendomsdata in één klik Percelen CRM
835 m2 - 142 m
Eigenaar opvragen
AHM02-AA-723 (Arnhem)
- 6842 AJ
DP0ZsJqMzTfI6c P7qAXJ7 Vv Upgrade naar KadastraleKaart Pro
Bekijk op Street View
Download DWG/DXF/Excel
J G zMFCl515Upgrade naar KadastraleKaart Pro
K1 HL5ERl2fDnBUuUUpgrade naar KadastraleKaart Pro
TaSeNm8H hV0hTUpgrade naar KadastraleKaart Pro
F phG0Mxnlf i7hJu2wHGUpgrade naar KadastraleKaart Pro
Fo6UW2A1 fAzCwR0XVdDUpgrade naar KadastraleKaart Pro
4xDNR1iKtQxHygdEiAGZs8AUpgrade naar KadastraleKaart Pro
9swimJtJSuw75hD Upgrade naar KadastraleKaart Pro
AM5C8Go w 60c0CG1MuUpgrade naar KadastraleKaart Pro
q9c2dTjHLZvNX38Upgrade naar KadastraleKaart Pro
NUYUujO HpD5TJXiUpgrade naar KadastraleKaart Pro
16/04/2010

Percelen
Gebruik de zoekbalk of klik op een perceel om informatie over het perceel te bekijken.