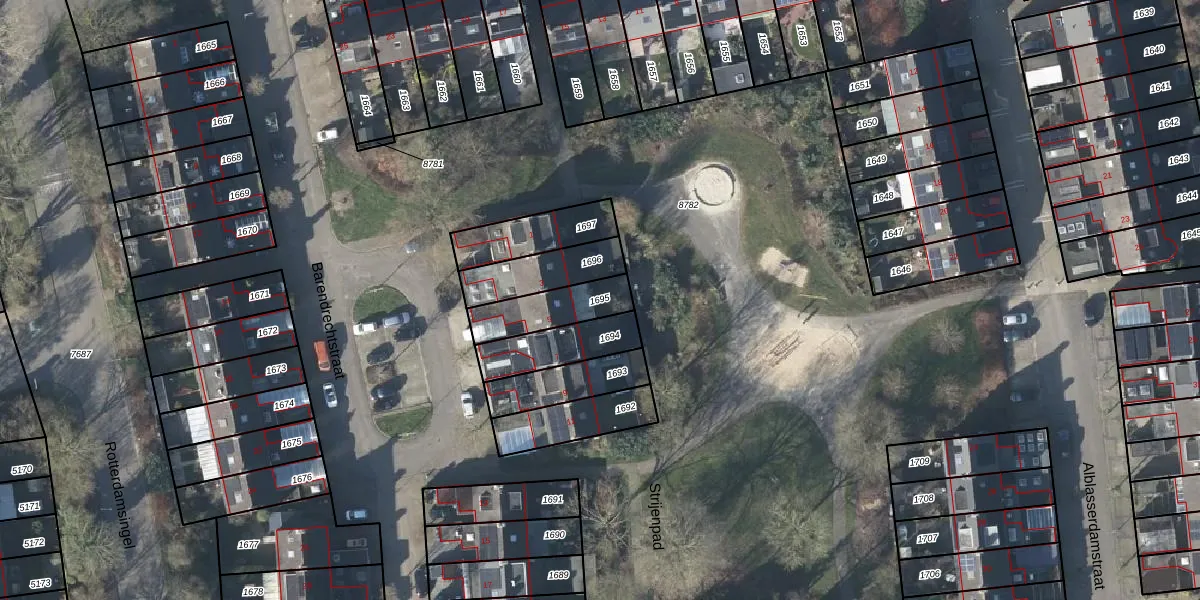
Perceel: AHM03-AC-1695
KadastraleKaart.com kan meer dan je denktOntdek meer ›
Filter op bestemming 50+ datasets Eigendomsdata in één klik Percelen CRM
171 m2 - 67 m
Eigenaar opvragen
AHM03-AC-1695 (Arnhem)
- 6843 NB
8 XnmFKTLUE Loai8x0 Upgrade naar KadastraleKaart Pro
Verkoopprijs opvragen
Bekijk op Street View
Download DWG/DXF/Excel
YABfhHIhOiUnWUpgrade naar KadastraleKaart Pro
wAxibC2 rrC3Upgrade naar KadastraleKaart Pro
nFrLTJj5Kn zUpgrade naar KadastraleKaart Pro
9nL7ICEqUpgrade naar KadastraleKaart Pro
E2aPUNc u vluUpgrade naar KadastraleKaart Pro
oC2lv9zVmzcoCbxRUpgrade naar KadastraleKaart Pro
xJ3NS63HwUpgrade naar KadastraleKaart Pro
h0XfqL bn KuFV1F3Upgrade naar KadastraleKaart Pro
W 5r4noqkpluUpgrade naar KadastraleKaart Pro
OpLpjdN tymGipOMdmHsUpgrade naar KadastraleKaart Pro
28/07/2010

Percelen
Gebruik de zoekbalk of klik op een perceel om informatie over het perceel te bekijken.