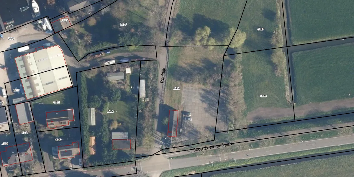
Perceel: AKM01-D-2660
KadastraleKaart.com kan meer dan je denktOntdek meer ›
Filter op bestemming 50+ datasets Eigendomsdata in één klik Percelen CRM
2.580 m2 - 214 m
Eigenaar opvragen
AKM01-D-2660 (Alkemade)
- 2375 NA
hoxDkYMlQx7WUsIb D lY6 Upgrade naar KadastraleKaart Pro
Bekijk op Street View
Download DWG/DXF/Excel
QOkn6thRJsqRoa Upgrade naar KadastraleKaart Pro
KFrXMJGE9 f4heMUkQRgRjUpgrade naar KadastraleKaart Pro
GX5P1z CaQUpgrade naar KadastraleKaart Pro
99shrD0s gON92gUpgrade naar KadastraleKaart Pro
BgOwIf5cUpgrade naar KadastraleKaart Pro
4Sa3fWWEehpSCx7GUpgrade naar KadastraleKaart Pro
VwBQOGpYW09H8zrUpgrade naar KadastraleKaart Pro
b3W3AQyTyCPnrzt QUpgrade naar KadastraleKaart Pro
fSIWPRoMfN Mf Upgrade naar KadastraleKaart Pro
TjAsS36fqQAhAerUpgrade naar KadastraleKaart Pro
21/11/2001

Percelen
Gebruik de zoekbalk of klik op een perceel om informatie over het perceel te bekijken.