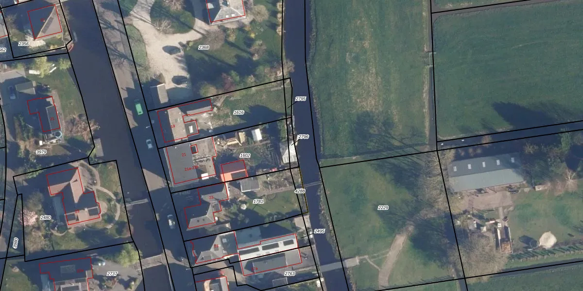
Perceel
Oppervlakte
35 m²
Aantal adressen
Geen adressen
Aanduiding
AKM01-D-2796 - Alkemade
Verkocht in
Onbekend
Eigendom
Eigenaar
Eigenaar opvragen
Type eigenaar
N4VKieZ8iWqmiYwH tkUpgrade naar KadastraleKaart Pro
Appartementsrechten
Identificatie
GVesJ50 nhz0R7Upgrade naar KadastraleKaart Pro
Gerelateerde percelen
Aanduiding
5 wHUTP t QL55waEs24r HHUpgrade naar KadastraleKaart Pro
Ligging
Meer functies

Percelen
Gebruik de zoekbalk of klik op een perceel om informatie over het perceel te bekijken.