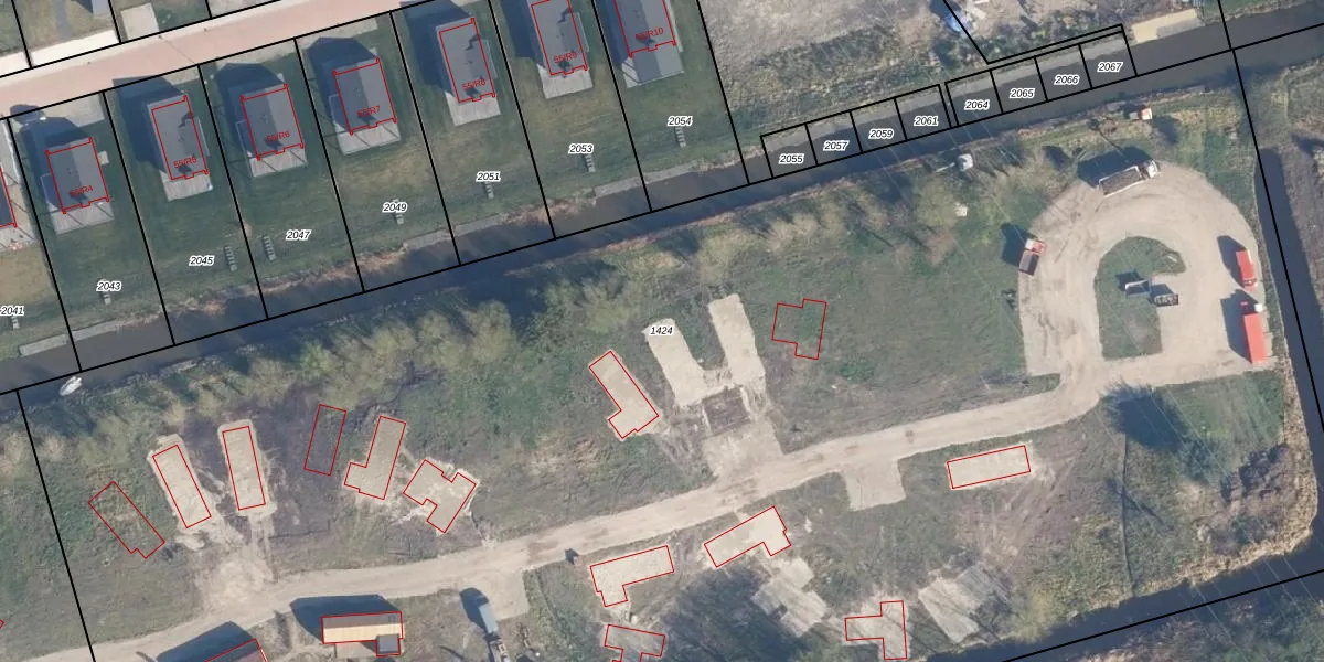
Perceel: AKM01-L-1424
KadastraleKaart.com kan meer dan je denktOntdek meer ›
Filter op bestemming 50+ datasets Eigendomsdata in één klik Percelen CRM
14.880 m2 - 538 m
Eigenaar opvragen
AKM01-L-1424 (Alkemade)
- 2374 BS
mgszqtxM0Dk6PxWXKM6UUpgrade naar KadastraleKaart Pro
Verkoopprijs opvragen
Bekijk op Street View
Download DWG/DXF/Excel
pUjV0BsE JhSqWsuN Upgrade naar KadastraleKaart Pro
7gzPjQDsUpgrade naar KadastraleKaart Pro
V Tc7PUpgrade naar KadastraleKaart Pro
aRX5tTx3Mu NzSR PopQH Upgrade naar KadastraleKaart Pro
Sfa9zyPOUpYrUpgrade naar KadastraleKaart Pro
IYA3amWk8xS BUpgrade naar KadastraleKaart Pro
dhw1GRwqe2SizjecEcUpgrade naar KadastraleKaart Pro
C1I6Py1X0dnu RtXUpgrade naar KadastraleKaart Pro
D2srHyqKgyHE pAXZGuUpgrade naar KadastraleKaart Pro
6x29Z920MVJT8zSUpgrade naar KadastraleKaart Pro
28/05/2025

Percelen
Gebruik de zoekbalk of klik op een perceel om informatie over het perceel te bekijken.