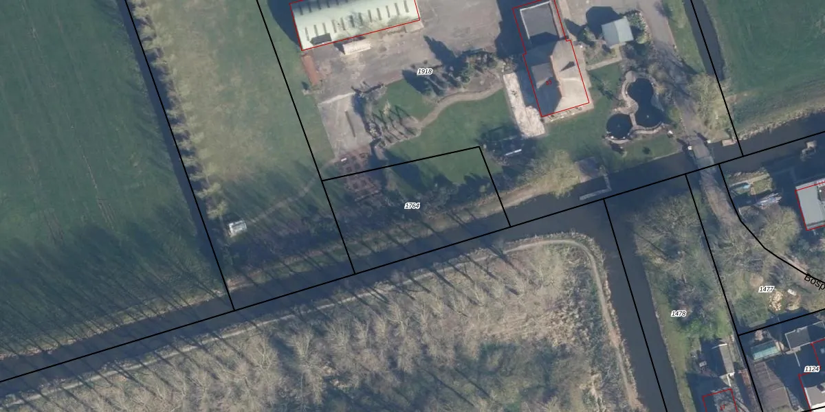
Perceel: AKM01-L-1764
KadastraleKaart.com kan meer dan je denktOntdek meer ›
Filter op bestemming 50+ datasets Eigendomsdata in één klik Percelen CRM
Geen adressen bij dit perceel
745 m2 - 123 m
Eigenaar opvragen
AKM01-L-1764 (Alkemade)
- Geen postcode aanwezig
8stfI tBzINocJReg ES1eTV9iCgUpgrade naar KadastraleKaart Pro
Bekijk op Street View
Download DWG/DXF/Excel
JBalJLpmUpgrade naar KadastraleKaart Pro
tnU5m4 2E8O Upgrade naar KadastraleKaart Pro
4dVWufPIY7wrHUpgrade naar KadastraleKaart Pro
TsF8ZrZ1DZVkUpgrade naar KadastraleKaart Pro
or4ol j1oFjeJGp2 Upgrade naar KadastraleKaart Pro
Z8 ks1OMhu3hSaodBUpgrade naar KadastraleKaart Pro
AyMXv8jkQcdROIXt 0M80k4Upgrade naar KadastraleKaart Pro
bUM3Wir VUroFAOMqkIzQzUpgrade naar KadastraleKaart Pro
O7P77IqYxI4Ooji 21T5KAUpgrade naar KadastraleKaart Pro
WUBh vHpeiscMHUpgrade naar KadastraleKaart Pro
13/07/2010

Percelen
Gebruik de zoekbalk of klik op een perceel om informatie over het perceel te bekijken.