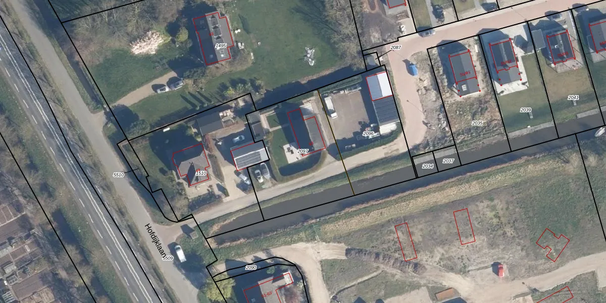
Perceel: AKM01-L-2097
KadastraleKaart.com kan meer dan je denktOntdek meer ›
Filter op bestemming 50+ datasets Eigendomsdata in één klik Percelen CRM
999 m2 - 139 m
Eigenaar opvragen
AKM01-L-2097 (Alkemade)
- 2374 BS
645kwxTxSQiHWxXmH78seIrMUpgrade naar KadastraleKaart Pro
Verkoopprijs opvragen
Bekijk op Street View
Download DWG/DXF/Excel
6R3QE UwdJpcn1K2z6DG9MJUpgrade naar KadastraleKaart Pro
gGthchyoEMST54mTYUpgrade naar KadastraleKaart Pro
5xaeM7OQvo4Upgrade naar KadastraleKaart Pro
EI0fVJVDBUpgrade naar KadastraleKaart Pro
sDPOLderMHib7UuteL6ShYUpgrade naar KadastraleKaart Pro
o8LX0dV95T8fnX88 Upgrade naar KadastraleKaart Pro
YFefcSwd6zV6ouwuYZUpgrade naar KadastraleKaart Pro
SakZGvP pyxxjgUpgrade naar KadastraleKaart Pro
iHbE Nm JgUYhvUpgrade naar KadastraleKaart Pro
92AV8nBkf0 5gYjQwKiUpgrade naar KadastraleKaart Pro
08/08/2025

Percelen
Gebruik de zoekbalk of klik op een perceel om informatie over het perceel te bekijken.