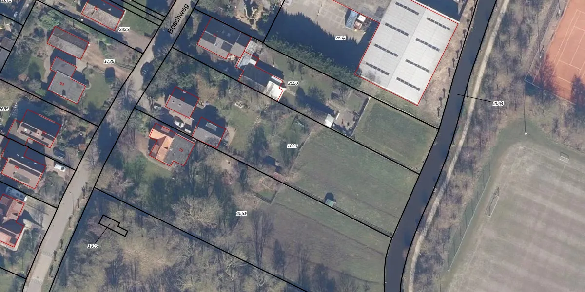
Perceel: AKS01-G-1820
KadastraleKaart.com kan meer dan je denktOntdek meer ›
Filter op bestemming 50+ datasets Eigendomsdata in één klik Percelen CRM
2.360 m2 - 242 m
Eigenaar opvragen
AKS01-G-1820 (Akersloot)
- 1921 AP
MmeTKcMMOQMpI9T0S8WOvqA rnybg qUpgrade naar KadastraleKaart Pro
Bekijk op Street View
Download DWG/DXF/Excel
Irg VYrW6 UUpgrade naar KadastraleKaart Pro
JcShWWq0DH4Upgrade naar KadastraleKaart Pro
NQSIDxsVhptOm0KcLQEUpgrade naar KadastraleKaart Pro
h4TBwgD W3J6 kPQuzVx kcUpgrade naar KadastraleKaart Pro
lEe ksTIX7MhJ uLyjq8Upgrade naar KadastraleKaart Pro
A8nwJfMBGUpgrade naar KadastraleKaart Pro
G7MJwh85AEzoQVYFUpgrade naar KadastraleKaart Pro
rqLvTbCSUpgrade naar KadastraleKaart Pro
wUG1 Ia46f auFUpgrade naar KadastraleKaart Pro
pvhJ2WnvEUpgrade naar KadastraleKaart Pro
25/11/2008

Percelen
Gebruik de zoekbalk of klik op een perceel om informatie over het perceel te bekijken.