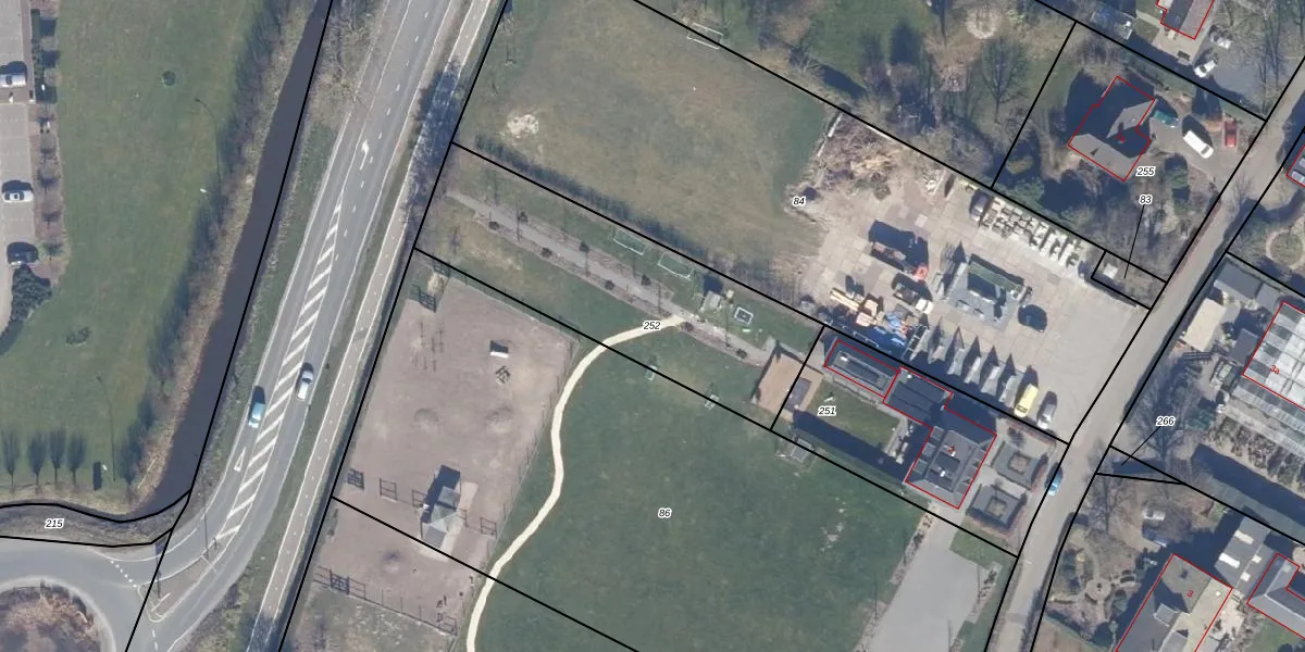
Perceel: AKS01-K-252
KadastraleKaart.com kan meer dan je denktOntdek meer ›
Filter op bestemming 50+ datasets Eigendomsdata in één klik Percelen CRM
Geen adressen bij dit perceel
1.106 m2 - 161 m
Eigenaar opvragen
AKS01-K-252 (Akersloot)
- Geen postcode aanwezig
DB8LL3 7w8enzZ wyL5dDWcUpgrade naar KadastraleKaart Pro
Bekijk op Street View
Download DWG/DXF/Excel
3cC Ve8l YsS9 bTgt D60Upgrade naar KadastraleKaart Pro
l uc1t7TUpgrade naar KadastraleKaart Pro
Xjo BqpqfSyUpgrade naar KadastraleKaart Pro
CW 0AWQeUpgrade naar KadastraleKaart Pro
Ymh7JUZAeVITYUpgrade naar KadastraleKaart Pro
wAvOne 8JyySPsUpgrade naar KadastraleKaart Pro
CoUY y8qYUpgrade naar KadastraleKaart Pro
T 61oxMoG9mUpgrade naar KadastraleKaart Pro
xxEXwXfAlVpw2SV qUpgrade naar KadastraleKaart Pro
sW8GrneidG rA Upgrade naar KadastraleKaart Pro
03/10/2018

Percelen
Gebruik de zoekbalk of klik op een perceel om informatie over het perceel te bekijken.