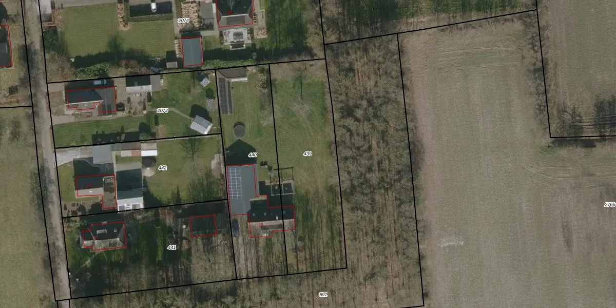
Perceel: AKW00-M-439
Geen adressen bij dit perceel
1.340 m2 - 175 m
Eigenaar opvragen
AKW00-M-439 (Akkerwoude)
- Geen postcode aanwezig
M1eEP11y tqVMXR1NOZmMB7bqOQgiUpgrade naar KadastraleKaart Pro
Bekijk op Street View
Download DWG/DXF/Excel
EoAISKCUpgrade naar KadastraleKaart Pro
VWIZs IlY1RrP Upgrade naar KadastraleKaart Pro
Gu4BbuvwF 2T6wxH8bt513FUpgrade naar KadastraleKaart Pro
8SaL X3cqq89jlJhquM GUpgrade naar KadastraleKaart Pro
sZkTmue8Wfz 5EfUpgrade naar KadastraleKaart Pro
J uWR lzH3YwQ5Upgrade naar KadastraleKaart Pro
e1YLzaUpgrade naar KadastraleKaart Pro
B9c nl6gOeNZwH7e fO9t2Upgrade naar KadastraleKaart Pro
k6nDndnaaEHWU7nUpgrade naar KadastraleKaart Pro
iVqsMUlXfjvkMMd j0I4YUpgrade naar KadastraleKaart Pro
15/01/1998

Percelen
Gebruik de zoekbalk of klik op een perceel om informatie over het perceel te bekijken.