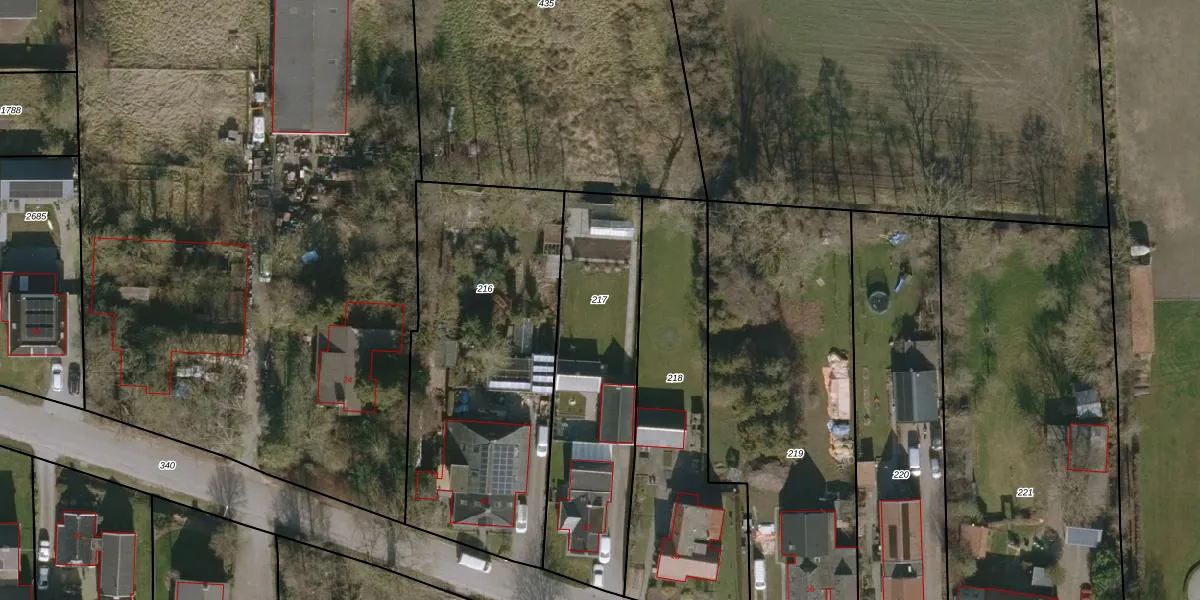
Perceel: AKW00-N-217
890 m2 - 157 m
Eigenaar opvragen
AKW00-N-217 (Akkerwoude)
- 9113 PR
vBv5ChUx2KUhsH 2Upgrade naar KadastraleKaart Pro
Bekijk op Street View
Download DWG/DXF/Excel
fnZhPE0mUpgrade naar KadastraleKaart Pro
k2n elvj7oCXyUpgrade naar KadastraleKaart Pro
5vt XVsFUpgrade naar KadastraleKaart Pro
ZPvF9DsdUJIYkIk37ci8iKJUpgrade naar KadastraleKaart Pro
d0bfte3st8VRnyUpgrade naar KadastraleKaart Pro
GiJn9wctGdJEQONJtb39OUpgrade naar KadastraleKaart Pro
sAGzSn0ZidClG1md4WlUpgrade naar KadastraleKaart Pro
ALi61LByXon7UG j6Ay Upgrade naar KadastraleKaart Pro
zeJrdg2COkyqAadSO nUpgrade naar KadastraleKaart Pro
UNXlZKFkguRoQMlZ yFUpgrade naar KadastraleKaart Pro
26/01/2004

Percelen
Gebruik de zoekbalk of klik op een perceel om informatie over het perceel te bekijken.