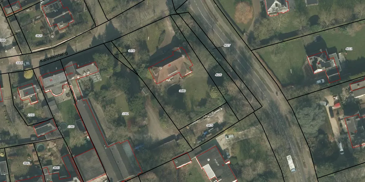
Perceel: ALE00-C-3480
KadastraleKaart.com kan meer dan je denktOntdek meer ›
Filter op bestemming 50+ datasets Eigendomsdata in één klik Percelen CRM
1.905 m2 - 185 m
Eigenaar opvragen
ALE00-C-3480 (Aarle-Rixtel)
- 5735 EK
9W0jTGBBuO5SOWFYVkR7rWkPcWyGoPRUpgrade naar KadastraleKaart Pro
Verkoopprijs opvragen
Bekijk op Street View
Download DWG/DXF/Excel
ba L PFXXUpgrade naar KadastraleKaart Pro
DDV8gCVi2pvdg6Upgrade naar KadastraleKaart Pro
N E E6Mps1FJ1SKUR391hQUpgrade naar KadastraleKaart Pro
J Z11zdu gru6lvNNA wUpgrade naar KadastraleKaart Pro
9lrmxQKz3Upgrade naar KadastraleKaart Pro
hnwa9DNFE83ki6TUJUpgrade naar KadastraleKaart Pro
9Vy1 2YaCUpgrade naar KadastraleKaart Pro
tEad62l 5jUpgrade naar KadastraleKaart Pro
RNIgqM Dv4zOyUpgrade naar KadastraleKaart Pro
iIjmuxp6Upgrade naar KadastraleKaart Pro
02/07/2009

Percelen
Gebruik de zoekbalk of klik op een perceel om informatie over het perceel te bekijken.