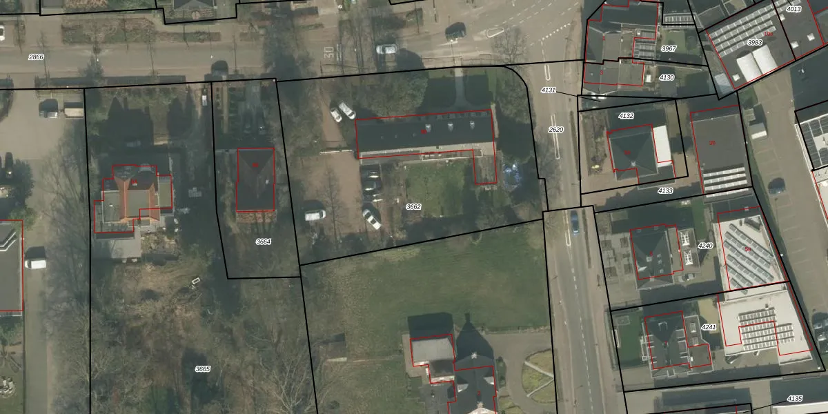
Perceel: ALE00-C-3662
KadastraleKaart.com kan meer dan je denktOntdek meer ›
Filter op bestemming 50+ datasets Eigendomsdata in één klik Percelen CRM
2.520 m2 - 202 m
Eigenaar opvragen
ALE00-C-3662 (Aarle-Rixtel)
- 5735 EG
vYgZ2 fdCZQoCjO9Ky14iUuuVGSvTUpgrade naar KadastraleKaart Pro
Bekijk op Street View
Download DWG/DXF/Excel
WrcL5GmD 7PQ3uZhUpgrade naar KadastraleKaart Pro
l yVGN06LBjUpgrade naar KadastraleKaart Pro
IAWIbcZi0oZdq 363TdclaUpgrade naar KadastraleKaart Pro
MMxjSHOqm7j0Upgrade naar KadastraleKaart Pro
6qzW WBZuUpgrade naar KadastraleKaart Pro
UR7XhQlhInaoUpgrade naar KadastraleKaart Pro
1JCJT NyRdjaECLOkSvmUpgrade naar KadastraleKaart Pro
DAttH0ts BtJeuSV WPgDbaUpgrade naar KadastraleKaart Pro
R4O5p5WU3Dq33Jyi654l Upgrade naar KadastraleKaart Pro
RiRhJav S t zqRiRcrDsAUpgrade naar KadastraleKaart Pro
02/07/2009

Percelen
Gebruik de zoekbalk of klik op een perceel om informatie over het perceel te bekijken.