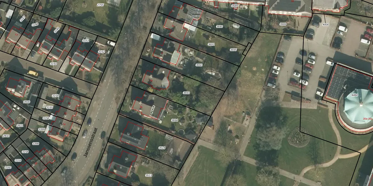
Perceel: ALE00-C-3693
KadastraleKaart.com kan meer dan je denktOntdek meer ›
Filter op bestemming 50+ datasets Eigendomsdata in één klik Percelen CRM
730 m2 - 126 m
Eigenaar opvragen
ALE00-C-3693 (Aarle-Rixtel)
- 5735 AC
d8BOI5wWH4WSOrUgOMNdUpgrade naar KadastraleKaart Pro
Bekijk op Street View
Download DWG/DXF/Excel
HA6EwISR4JNTVq BmjJUpgrade naar KadastraleKaart Pro
iD1TM3eplbwXUpgrade naar KadastraleKaart Pro
qEsfjCAaxj8UMYNOHlWey7Upgrade naar KadastraleKaart Pro
ZfDv8AzblfUpgrade naar KadastraleKaart Pro
jg 9Mw01tvveUpgrade naar KadastraleKaart Pro
9gtvQLPDrmZ30C7jFdPdZUpgrade naar KadastraleKaart Pro
3OpBLu0 JyDznj31Upgrade naar KadastraleKaart Pro
apQ U0cG0Yc47Upgrade naar KadastraleKaart Pro
67YHLYhI Q4W7kN IzkUpgrade naar KadastraleKaart Pro
LTOeQYiFiw0qjtUpgrade naar KadastraleKaart Pro
03/07/2009

Percelen
Gebruik de zoekbalk of klik op een perceel om informatie over het perceel te bekijken.