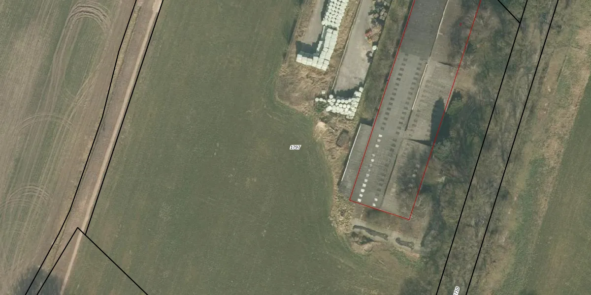
Perceel: ALE00-E-1797
KadastraleKaart.com kan meer dan je denktOntdek meer ›
Filter op bestemming 50+ datasets Eigendomsdata in één klik Percelen CRM
Geen adressen bij dit perceel
21.030 m2 - 617 m
Eigenaar opvragen
ALE00-E-1797 (Aarle-Rixtel)
- Geen postcode aanwezig
xuvhIMB s9m72hZVp7cosUpgrade naar KadastraleKaart Pro
Bekijk op Street View
Download DWG/DXF/Excel
BLNhMkZ1KaUpgrade naar KadastraleKaart Pro
LSS KOZcSNoJ5 lYGUpgrade naar KadastraleKaart Pro
qwb mr54 r dSrgrUpgrade naar KadastraleKaart Pro
u9sprRFpoUhXo0BOUpgrade naar KadastraleKaart Pro
vUaBO qFM1bBnXl 5snIUpgrade naar KadastraleKaart Pro
FfMqKzZGaMkfNN ICKUpgrade naar KadastraleKaart Pro
uFqOANQF8d9Ej 7Upgrade naar KadastraleKaart Pro
WGO OGMSFXUpgrade naar KadastraleKaart Pro
nbVXy1Fv D6NEUpgrade naar KadastraleKaart Pro
7H4r6t2LZpw hUpgrade naar KadastraleKaart Pro
07/10/2009

Percelen
Gebruik de zoekbalk of klik op een perceel om informatie over het perceel te bekijken.