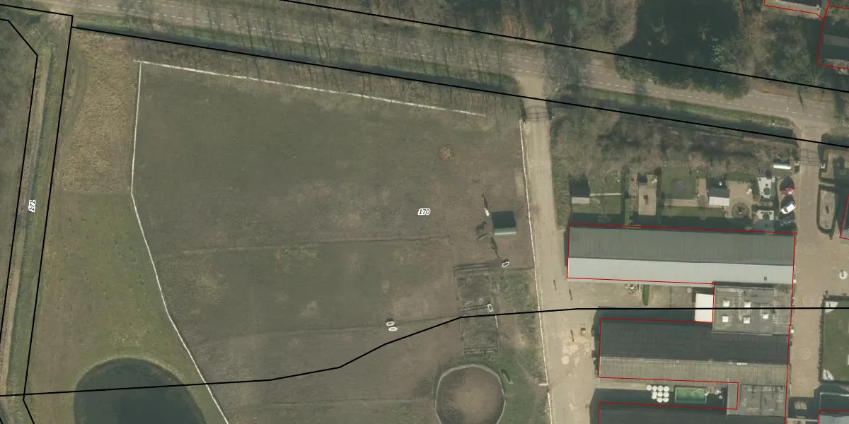
Perceel: ALE00-G-170
KadastraleKaart.com kan meer dan je denktOntdek meer ›
Filter op bestemming 50+ datasets Eigendomsdata in één klik Percelen CRM
12.470 m2 - 575 m
Eigenaar opvragen
ALE00-G-170 (Aarle-Rixtel)
- 5735 SM
Usbcr8MiEPYBIWBFJ41Zxg Upgrade naar KadastraleKaart Pro
Bekijk op Street View
Download DWG/DXF/Excel
WjPpOJHn4N8aq5KqKwYUpgrade naar KadastraleKaart Pro
SK TiA4rtqxGUcUpgrade naar KadastraleKaart Pro
RVGB VBXsSV7olwlwjLdEUpgrade naar KadastraleKaart Pro
g7EePjs 7skAz5fUpgrade naar KadastraleKaart Pro
a4U1eaAogS yUpgrade naar KadastraleKaart Pro
wtQmM LdP0gv8Upgrade naar KadastraleKaart Pro
w9objm60Upgrade naar KadastraleKaart Pro
oKDCtoU5HcZ2HGHklUpgrade naar KadastraleKaart Pro
aEcjDkf H9L Upgrade naar KadastraleKaart Pro
kTu8TBZpQtUpgrade naar KadastraleKaart Pro
19/06/2009

Percelen
Gebruik de zoekbalk of klik op een perceel om informatie over het perceel te bekijken.