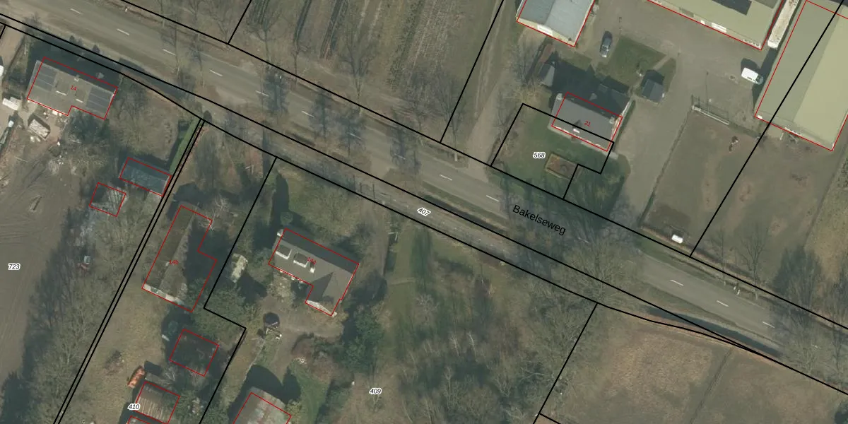
Perceel: ALE00-G-407
KadastraleKaart.com kan meer dan je denktOntdek meer ›
Filter op bestemming 50+ datasets Eigendomsdata in één klik Percelen CRM
Geen adressen bij dit perceel
1.000 m2 - 600 m
Eigenaar opvragen
ALE00-G-407 (Aarle-Rixtel)
- Geen postcode aanwezig
R4T6dJfl Ly MSsdQRKE8bmQUUGUpgrade naar KadastraleKaart Pro
Bekijk op Street View
Download DWG/DXF/Excel
mUtxORC p94mxmwCSgjVY0Upgrade naar KadastraleKaart Pro
JyGxG9JNMaWg 5Qr2iyJUpgrade naar KadastraleKaart Pro
EVsBT9cg9Upgrade naar KadastraleKaart Pro
BoRmgr3szOirAMzf4y7DUpgrade naar KadastraleKaart Pro
1YIWY9iMEUpgrade naar KadastraleKaart Pro
nue BpaJOsh5oqENY IDifAUpgrade naar KadastraleKaart Pro
zU pcsnrEjcaonnWQ Upgrade naar KadastraleKaart Pro
XUPJ 9lyuU Gnbuo4yUpgrade naar KadastraleKaart Pro
401H3WtZGj9E QSGOgzUpgrade naar KadastraleKaart Pro
eA5mkA Upgrade naar KadastraleKaart Pro
22/06/2009

Percelen
Gebruik de zoekbalk of klik op een perceel om informatie over het perceel te bekijken.