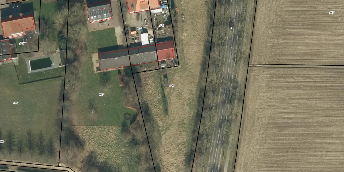
Perceel: ALM00-H-627
KadastraleKaart.com kan meer dan je denktOntdek meer ›
Filter op bestemming 50+ datasets Eigendomsdata in één klik Percelen CRM
Geen adressen bij dit perceel
3.840 m2 - 349 m
Eigenaar opvragen
ALM00-H-627 (Alem)
- Geen postcode aanwezig
3v0 kH104maPEV 1mA RtwwVmVUpgrade naar KadastraleKaart Pro
Bekijk op Street View
Download DWG/DXF/Excel
f0RIF4Nb UbY05 wUpgrade naar KadastraleKaart Pro
8afFaaPoWxD XIiVZbogUpgrade naar KadastraleKaart Pro
B5 msj5 7VqqW3V9Upgrade naar KadastraleKaart Pro
FDK52Eg5rafh8PUpgrade naar KadastraleKaart Pro
9 xWK u7YB ZCoUpgrade naar KadastraleKaart Pro
7jBzb0h93Upgrade naar KadastraleKaart Pro
UD2GIap fBjjICgnJlUpgrade naar KadastraleKaart Pro
dOM3tFQDLIPzPNUpgrade naar KadastraleKaart Pro
U9FR2OXo3eXqUpgrade naar KadastraleKaart Pro
eqWaE9hKec4f0TeUpgrade naar KadastraleKaart Pro
01/02/2021

Percelen
Gebruik de zoekbalk of klik op een perceel om informatie over het perceel te bekijken.