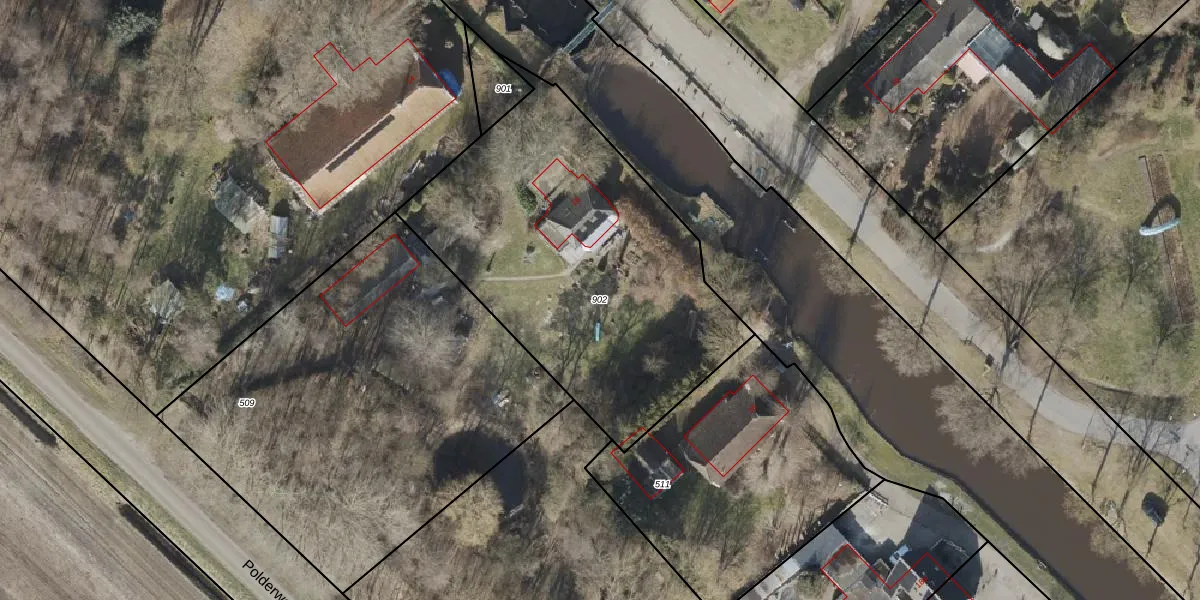
Perceel: ALO00-AA-902
KadastraleKaart.com kan meer dan je denktOntdek meer ›
Filter op bestemming 50+ datasets Eigendomsdata in één klik Percelen CRM
1.805 m2 - 191 m
Eigenaar opvragen
ALO00-AA-902 (Anloo)
- 9659 PB -9659 PA
OlDAS9LhcG2u5HdPXk090I1 jUpgrade naar KadastraleKaart Pro
Verkoopprijs opvragen
Bekijk op Street View
Download DWG/DXF/Excel
uTSJXAoMkwcNdHc1FjUpgrade naar KadastraleKaart Pro
J8 IGVD45sv nOdBUpgrade naar KadastraleKaart Pro
QB1pIxUyCRqZVxUpgrade naar KadastraleKaart Pro
zMFi6xGzo4 EIVVUpgrade naar KadastraleKaart Pro
WCW V4f 0MZ ZD8FzBLrFfUpgrade naar KadastraleKaart Pro
NIf8M9JCDAFdkmUpgrade naar KadastraleKaart Pro
GFwfftK3dAJxZGHfbLSoUpgrade naar KadastraleKaart Pro
kh8UcM2fUBag85MCR 5bUpgrade naar KadastraleKaart Pro
C3PVZEMB2C59hm f Upgrade naar KadastraleKaart Pro
FHlGoYaIgTofBJNUpgrade naar KadastraleKaart Pro
14/09/2011

Percelen
Gebruik de zoekbalk of klik op een perceel om informatie over het perceel te bekijken.