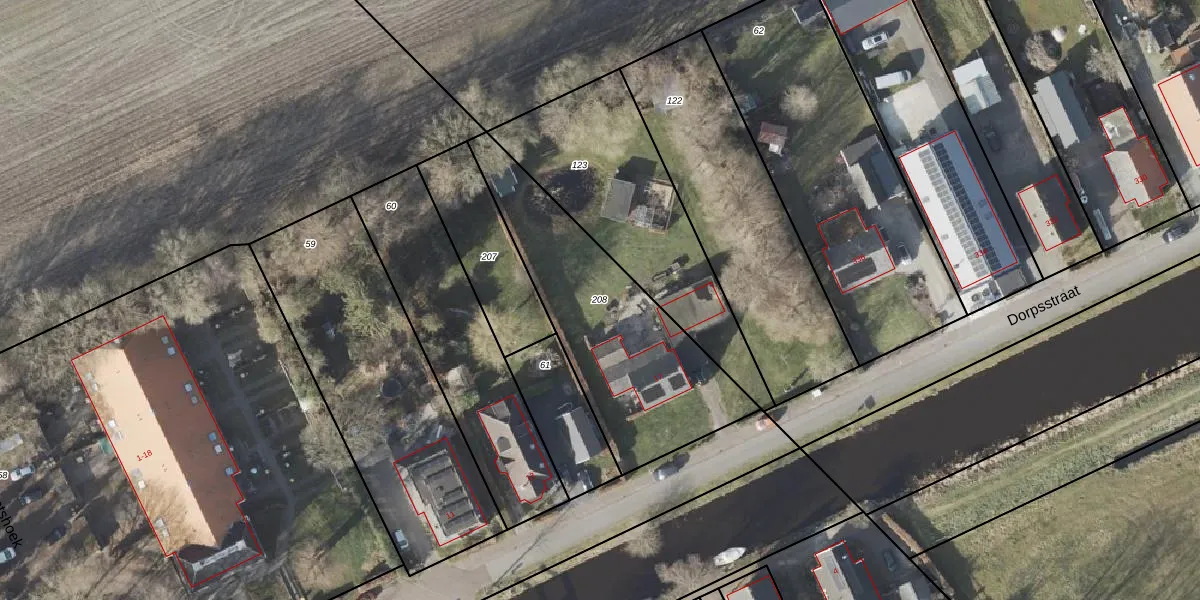
Perceel: ALO00-AB-208
KadastraleKaart.com kan meer dan je denktOntdek meer ›
Filter op bestemming 50+ datasets Eigendomsdata in één klik Percelen CRM
895 m2 - 156 m
Eigenaar opvragen
ALO00-AB-208 (Anloo)
- 9654 PL
wOZh zM pHhDQWRhC1SY981Upgrade naar KadastraleKaart Pro
Verkoopprijs opvragen
Bekijk op Street View
Download DWG/DXF/Excel
g CDtv2Yu c3Upgrade naar KadastraleKaart Pro
KR T7ZYmTGTyG1rpie3SjmUpgrade naar KadastraleKaart Pro
rv4jBui UXzWUpgrade naar KadastraleKaart Pro
17CyMcjQv0 DUpgrade naar KadastraleKaart Pro
Abn5YNpW5sqmUpgrade naar KadastraleKaart Pro
EOqoAhH yRJJTtxvkUpgrade naar KadastraleKaart Pro
Z5 Q4nzzjUpgrade naar KadastraleKaart Pro
UJ XhpKsQOPEsln MEHUpgrade naar KadastraleKaart Pro
NYe79JXEXvr10kZwhUpgrade naar KadastraleKaart Pro
dDaaQYtUrcRlIku4DL8lUpgrade naar KadastraleKaart Pro
10/09/2012

Percelen
Gebruik de zoekbalk of klik op een perceel om informatie over het perceel te bekijken.