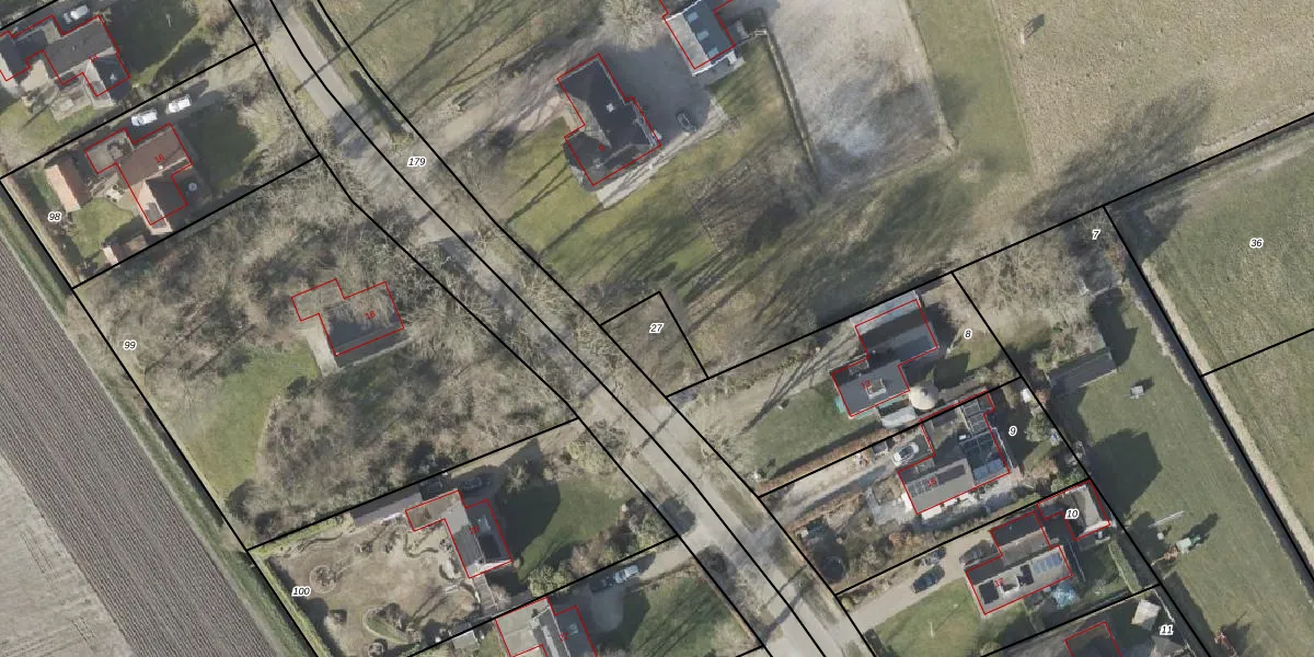
Perceel: ALO00-AB-27
KadastraleKaart.com kan meer dan je denktOntdek meer ›
Filter op bestemming 50+ datasets Eigendomsdata in één klik Percelen CRM
Geen adressen bij dit perceel
129 m2 - 48 m
Eigenaar opvragen
ALO00-AB-27 (Anloo)
- Geen postcode aanwezig
iVra45sNDfI1yz vouthSqUpgrade naar KadastraleKaart Pro
Bekijk op Street View
Download DWG/DXF/Excel
pCrBBiUivsvzxDgETv3 Upgrade naar KadastraleKaart Pro
e2J1w2uefUpgrade naar KadastraleKaart Pro
swpbiO 3pv2Upgrade naar KadastraleKaart Pro
HfaleNEe0Ja4gbT MO kwzUpgrade naar KadastraleKaart Pro
9qC690YZ1tUpgrade naar KadastraleKaart Pro
aNwF0ZoMUpgrade naar KadastraleKaart Pro
ryQbaBZrMRhC7yPT1UVO1WUpgrade naar KadastraleKaart Pro
MIVosDC4m eof8X16MgIUUpgrade naar KadastraleKaart Pro
beTdHXZbhsVPVIWdbSUpgrade naar KadastraleKaart Pro
nSC1 hmiqIO7Upgrade naar KadastraleKaart Pro
30/03/2005

Percelen
Gebruik de zoekbalk of klik op een perceel om informatie over het perceel te bekijken.