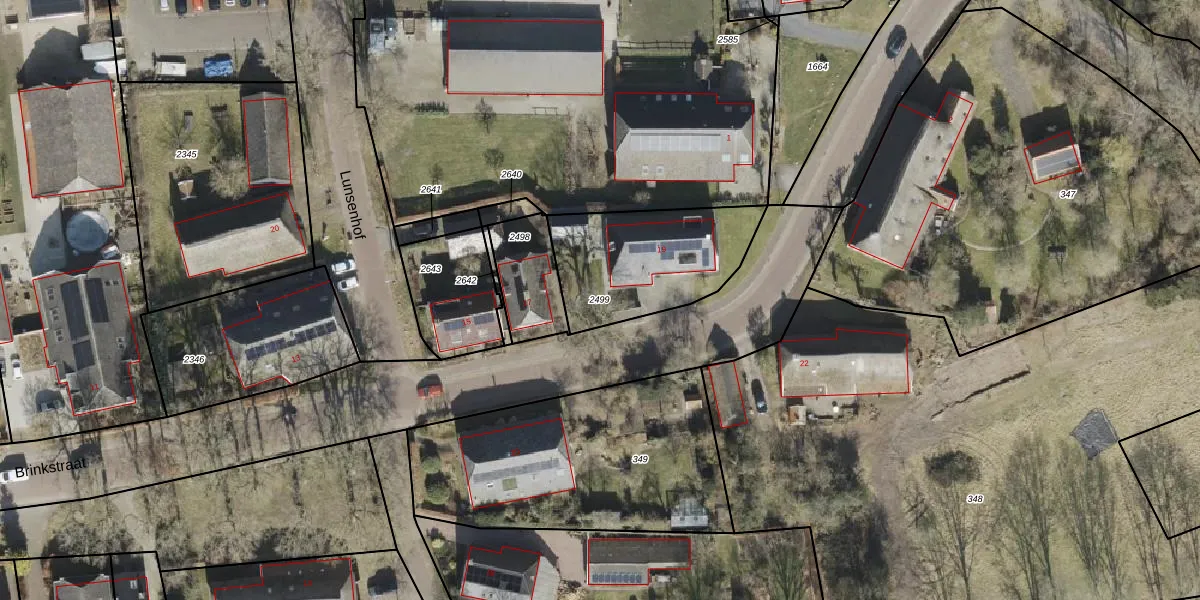
Perceel: ALO00-K-2499
KadastraleKaart.com kan meer dan je denktOntdek meer ›
Filter op bestemming 50+ datasets Eigendomsdata in één klik Percelen CRM
534 m2 - 100 m
Eigenaar opvragen
ALO00-K-2499 (Anloo)
- 9467 PD
hlvo311YnHwFEZWlegHoUpgrade naar KadastraleKaart Pro
Verkoopprijs opvragen
Bekijk op Street View
Download DWG/DXF/Excel
Lv5zhODhDBB20sfo6LkNUpgrade naar KadastraleKaart Pro
L9IcvVVT0zJ7tnrQGUpgrade naar KadastraleKaart Pro
7 Qqd072BNjWUlYfL QunrUpgrade naar KadastraleKaart Pro
23XphHW9zsr4ykP f Upgrade naar KadastraleKaart Pro
qenm3cV7TaoERTOTEwUpgrade naar KadastraleKaart Pro
wurYjg26FOHlcDNcbWlW4rUpgrade naar KadastraleKaart Pro
buMEgbV7epUpgrade naar KadastraleKaart Pro
5te 6mDJLP328hWNiUnpfBPUpgrade naar KadastraleKaart Pro
4xRRiqcMFUpgrade naar KadastraleKaart Pro
8hg Nt Vyn8lGRZUpgrade naar KadastraleKaart Pro
26/01/2007

Percelen
Gebruik de zoekbalk of klik op een perceel om informatie over het perceel te bekijken.