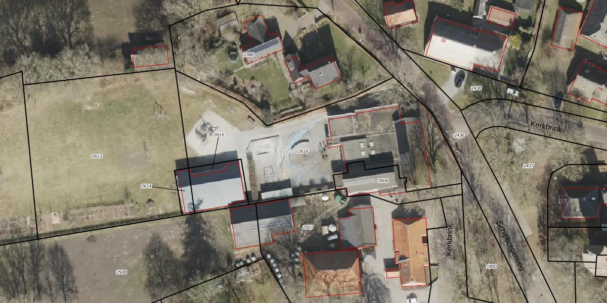
Perceel: ALO00-K-2616
KadastraleKaart.com kan meer dan je denktOntdek meer ›
Filter op bestemming 50+ datasets Eigendomsdata in één klik Percelen CRM
2.335 m2 - 281 m
Eigenaar opvragen
ALO00-K-2616 (Anloo)
- 9467 PH
hqcs UCkL3pOhQ YUpgrade naar KadastraleKaart Pro
Bekijk op Street View
Download DWG/DXF/Excel
Q 5Tl ZoltcTxGQOzCUTlUpgrade naar KadastraleKaart Pro
UWWTmyqxqe8Upgrade naar KadastraleKaart Pro
bnrpwzIEWvAfCVhdJ Upgrade naar KadastraleKaart Pro
xB4gsV4 nD OBMIUpgrade naar KadastraleKaart Pro
qu7BpwjEYMlHzT78hU5mUpgrade naar KadastraleKaart Pro
jDplIqJmhUZ4yUpgrade naar KadastraleKaart Pro
FkKQkw1TxICuUpgrade naar KadastraleKaart Pro
LOlA u tE6zdEEvwUpgrade naar KadastraleKaart Pro
REI9 HB9YIdUpgrade naar KadastraleKaart Pro
oxNk1vgplrOP8ZmLLUpgrade naar KadastraleKaart Pro
27/02/2014

Percelen
Gebruik de zoekbalk of klik op een perceel om informatie over het perceel te bekijken.