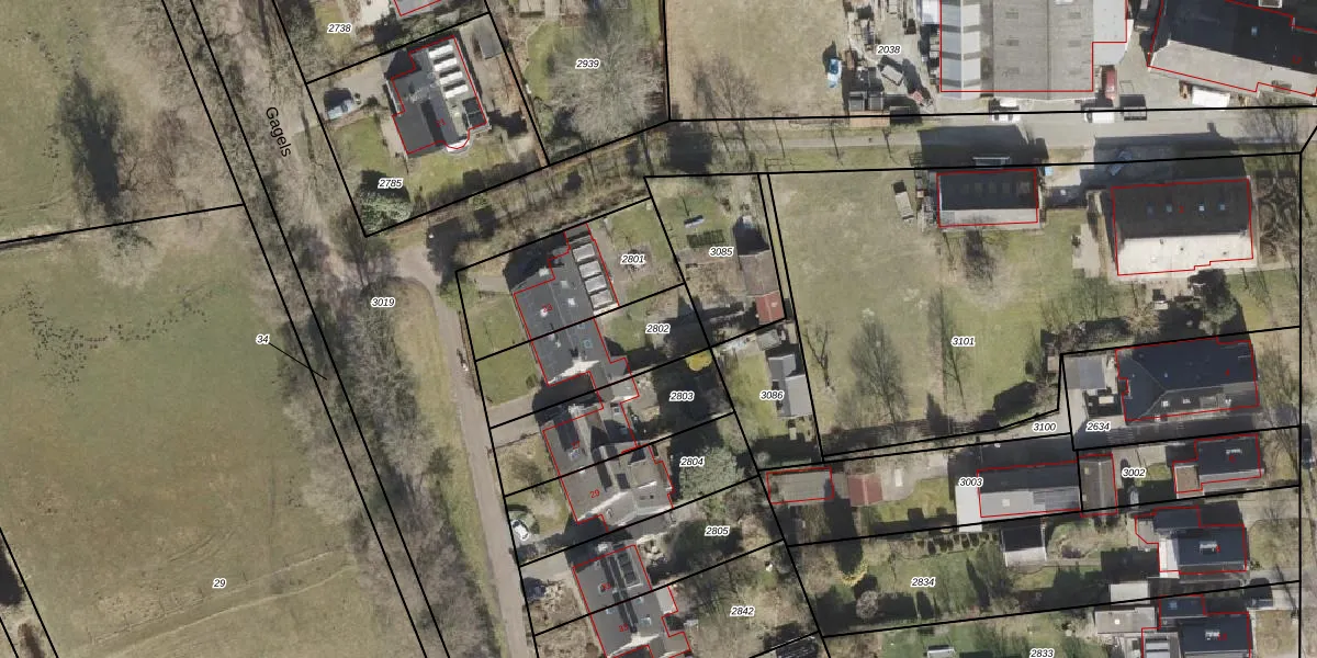
Perceel: ALO00-O-2802
KadastraleKaart.com kan meer dan je denktOntdek meer ›
Filter op bestemming 50+ datasets Eigendomsdata in één klik Percelen CRM
Geen adressen bij dit perceel
365 m2 - 91 m
Eigenaar opvragen
ALO00-O-2802 (Anloo)
- Geen postcode aanwezig
kT07dPBf4JqzSq fTJCwUpgrade naar KadastraleKaart Pro
Bekijk op Street View
Download DWG/DXF/Excel
T8DqOvo9n GRYy4VX DH1EUpgrade naar KadastraleKaart Pro
i 7diBPcYlW 8XmWwc9lOUpgrade naar KadastraleKaart Pro
JZLupWqyNS6mUpgrade naar KadastraleKaart Pro
6WXqoAs0aIKUpgrade naar KadastraleKaart Pro
Dz8xEzQI0hchWBZRECA FrUpgrade naar KadastraleKaart Pro
cXY12fgN h M 8 n0LN0aUpgrade naar KadastraleKaart Pro
BulWq7FUYFD9o rvYs3MpUpgrade naar KadastraleKaart Pro
BHRHcMz99hdjHryskWRMq Upgrade naar KadastraleKaart Pro
jvLym5oy32FiA NtzUpgrade naar KadastraleKaart Pro
FYHhoAmGAKPQUpgrade naar KadastraleKaart Pro
28/11/1997

Percelen
Gebruik de zoekbalk of klik op een perceel om informatie over het perceel te bekijken.