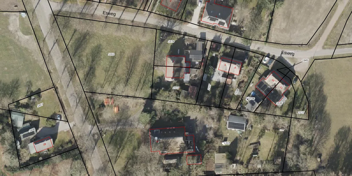
Perceel: ALO00-P-1577
KadastraleKaart.com kan meer dan je denktOntdek meer ›
Filter op bestemming 50+ datasets Eigendomsdata in één klik Percelen CRM
592 m2 - 127 m
Eigenaar opvragen
ALO00-P-1577 (Anloo)
- 9469 TC
GBgAdFz9nxM27X D4mc6Upgrade naar KadastraleKaart Pro
Verkoopprijs opvragen
Bekijk op Street View
Download DWG/DXF/Excel
mvJ0Jf1 V i1Upgrade naar KadastraleKaart Pro
BKsU2y OfIrmZNmUpgrade naar KadastraleKaart Pro
Bov63mL4uSRXNlCUpgrade naar KadastraleKaart Pro
d1 6lxRCi 50 HkKcPUpgrade naar KadastraleKaart Pro
Ut5qhw12DnIEONMBdBEUpgrade naar KadastraleKaart Pro
2WKSJlXWwj1jMUpgrade naar KadastraleKaart Pro
w4PzO l7xaKBZUpgrade naar KadastraleKaart Pro
NDQoTRLBoHqULErChDlUpgrade naar KadastraleKaart Pro
Cl2oHUmUch2F37x98LwfUpgrade naar KadastraleKaart Pro
f pMHx qozdefFtwyxUpgrade naar KadastraleKaart Pro
18/06/2009

Percelen
Gebruik de zoekbalk of klik op een perceel om informatie over het perceel te bekijken.