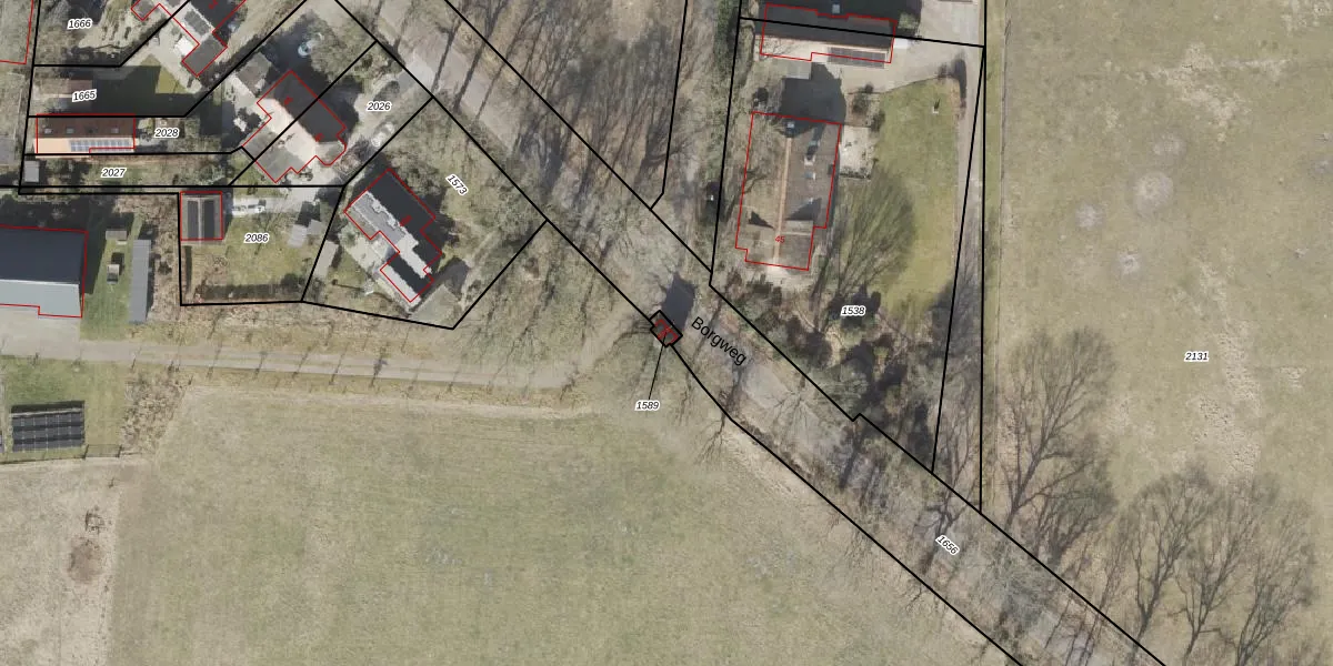
Perceel: ALO00-P-1589
KadastraleKaart.com kan meer dan je denktOntdek meer ›
Filter op bestemming 50+ datasets Eigendomsdata in één klik Percelen CRM
15 m2 - 16 m
Eigenaar opvragen
ALO00-P-1589 (Anloo)
- Geen postcode aanwezig
P07YMUgJ7SSTOaWwS BzKO A0g HUpgrade naar KadastraleKaart Pro
Bekijk op Street View
Download DWG/DXF/Excel
Pl g1WhMWl9tUpgrade naar KadastraleKaart Pro
a8mKBwEBs2cUpgrade naar KadastraleKaart Pro
FvGofD WJF 3ZGHzHrNQHHPUpgrade naar KadastraleKaart Pro
o Q8xP0KnR0Upgrade naar KadastraleKaart Pro
KUWmzv3MzOOUpgrade naar KadastraleKaart Pro
TWb0CbV8v3Upgrade naar KadastraleKaart Pro
8S7A7vxk SEUdC iSP67DUpgrade naar KadastraleKaart Pro
ajyIpj bgM6Upgrade naar KadastraleKaart Pro
UCbKlS42MMXgjOM rUpgrade naar KadastraleKaart Pro
Ae3vU96daI Upgrade naar KadastraleKaart Pro
10/03/2005

Percelen
Gebruik de zoekbalk of klik op een perceel om informatie over het perceel te bekijken.