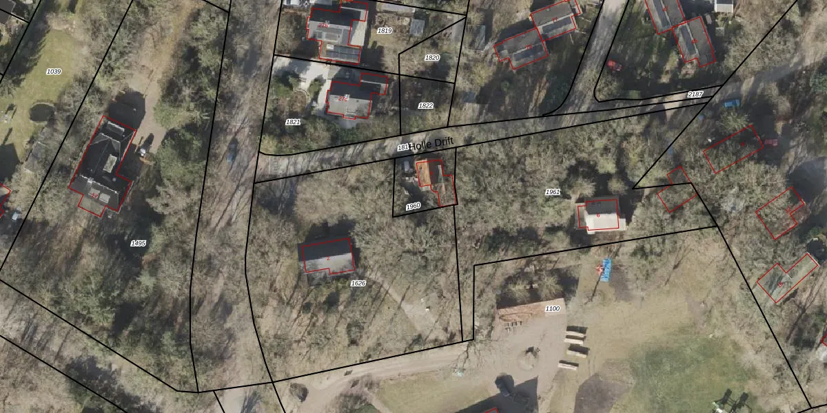
Perceel: ALO00-P-1960
KadastraleKaart.com kan meer dan je denktOntdek meer ›
Filter op bestemming 50+ datasets Eigendomsdata in één klik Percelen CRM
210 m2 - 59 m
Eigenaar opvragen
ALO00-P-1960 (Anloo)
- 9469 TB
aDS6vJvgoAOqdCD7nUpgrade naar KadastraleKaart Pro
Verkoopprijs opvragen
Bekijk op Street View
Download DWG/DXF/Excel
Fp7oJhFKUpgrade naar KadastraleKaart Pro
n5gfriumUpgrade naar KadastraleKaart Pro
D876sd 5QhCf ENyoUpgrade naar KadastraleKaart Pro
H WQFc6O4P23S1bUpgrade naar KadastraleKaart Pro
IyGwnUVs5esKOgX5Z1FtGggUpgrade naar KadastraleKaart Pro
4 neqEcazxzPVUpgrade naar KadastraleKaart Pro
Bw Lk67glUpgrade naar KadastraleKaart Pro
GW qF Pq1Mpbi1zaXD2LwUpgrade naar KadastraleKaart Pro
M3hQAX 94N7vUfZBUpgrade naar KadastraleKaart Pro
DBgG nR5h1c K4MlZ4Upgrade naar KadastraleKaart Pro
21/07/2003

Percelen
Gebruik de zoekbalk of klik op een perceel om informatie over het perceel te bekijken.