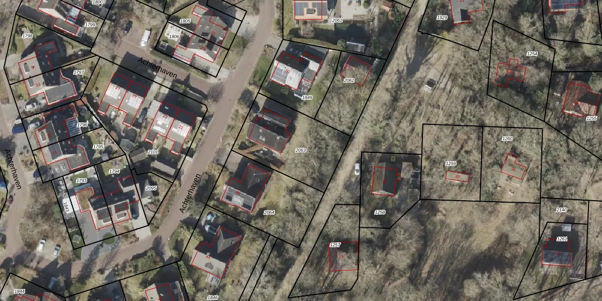
Perceel: ALO00-P-2063
KadastraleKaart.com kan meer dan je denktOntdek meer ›
Filter op bestemming 50+ datasets Eigendomsdata in één klik Percelen CRM
710 m2 - 110 m
Eigenaar opvragen
ALO00-P-2063 (Anloo)
- 9469 PR
t0XTvTne21Un6O2uXpUWSUpgrade naar KadastraleKaart Pro
Verkoopprijs opvragen
Bekijk op Street View
Download DWG/DXF/Excel
h LeVTS18qY455oy t QUpgrade naar KadastraleKaart Pro
pDtdQMNvjmYUpgrade naar KadastraleKaart Pro
Xmou1j5aFvGMrUpgrade naar KadastraleKaart Pro
yd72ef9RDS yDD1Y9lRUpgrade naar KadastraleKaart Pro
JTH 2fYtiTzmUpgrade naar KadastraleKaart Pro
KizFY RNsZAxbIl6lSdqe 5Upgrade naar KadastraleKaart Pro
29OVd69R44jziUpgrade naar KadastraleKaart Pro
6 C eJf323z0RHTW1pNUpgrade naar KadastraleKaart Pro
CWM7E4Gm4670NGUUpgrade naar KadastraleKaart Pro
CNoOsWXmg5b8QQomEi0PejUpgrade naar KadastraleKaart Pro
04/05/2010

Percelen
Gebruik de zoekbalk of klik op een perceel om informatie over het perceel te bekijken.