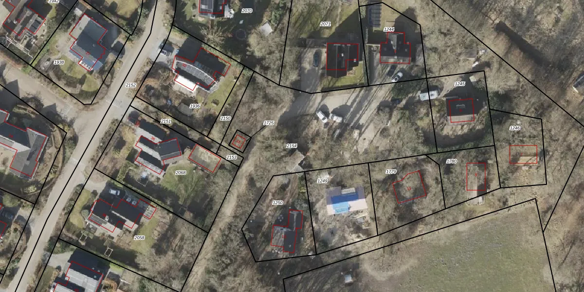
Perceel: ALO00-P-2154
Geen adressen bij dit perceel
13.978 m2 - 2.321 m
Eigenaar opvragen
ALO00-P-2154 (Anloo)
- Geen postcode aanwezig
Wb Wo7CbDi ienOqI8m 8WUpgrade naar KadastraleKaart Pro
Bekijk op Street View
Download DWG/DXF/Excel
W1 IoW9x vHEUpgrade naar KadastraleKaart Pro
4F4H4vpVYah HgACUpgrade naar KadastraleKaart Pro
bonZoK USAC y5Upgrade naar KadastraleKaart Pro
6lqncf0TaUjx13 RhAgzFUpgrade naar KadastraleKaart Pro
KsghQvAqUpgrade naar KadastraleKaart Pro
N0X43oXnDwNJUsbrH5U k7Upgrade naar KadastraleKaart Pro
Nm gQkZ R MucC8tZrpaHUpgrade naar KadastraleKaart Pro
OPmamn 6mxUpgrade naar KadastraleKaart Pro
wPy6YZ RttvwpAvpW2jv6Upgrade naar KadastraleKaart Pro
wtYLt5BvSUpgrade naar KadastraleKaart Pro
09/06/2017

Percelen
Gebruik de zoekbalk of klik op een perceel om informatie over het perceel te bekijken.