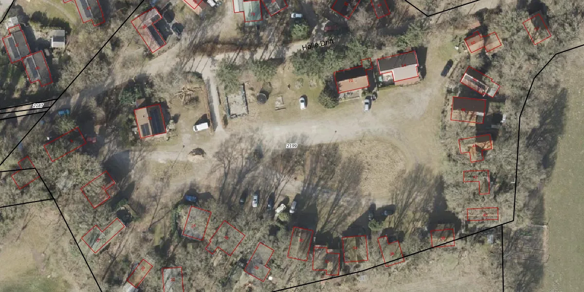
Perceel: ALO00-P-2199
KadastraleKaart.com kan meer dan je denktOntdek meer āŗ
Filter op bestemming 50+ datasets Eigendomsdata in ƩƩn klik Percelen CRM
17.733 m2 - 634 m
Eigenaar opvragen
ALO00-P-2199 (Anloo)
- 9469 TB
B EuBXAkUI8JwuqLW1f QioydUpgrade naar KadastraleKaart Pro
Verkoopprijs opvragen
Bekijk op Street View
Download DWG/DXF/Excel
CAu2 ov xH 4Upgrade naar KadastraleKaart Pro
mehJWcT35X5LYj7 RAlfUpgrade naar KadastraleKaart Pro
Jop 1UIQqzppsxI3drMSTaLUpgrade naar KadastraleKaart Pro
meX sGBYABUea0KOuUpgrade naar KadastraleKaart Pro
dQYV kDkz1jjbUpgrade naar KadastraleKaart Pro
rcX VixZjcUpgrade naar KadastraleKaart Pro
Uu1wMl0Y EMdpExdUpgrade naar KadastraleKaart Pro
hqNPw91Tbua rXkno hUpgrade naar KadastraleKaart Pro
0GJdzQOaT7uUut G8tCiESUpgrade naar KadastraleKaart Pro
FkmO hjIQ yF Upgrade naar KadastraleKaart Pro
06/11/2024

Percelen
Gebruik de zoekbalk of klik op een perceel om informatie over het perceel te bekijken.