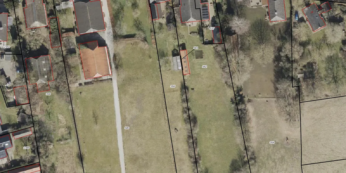
Perceel: ALO00-T-356
KadastraleKaart.com kan meer dan je denktOntdek meer ›
Filter op bestemming 50+ datasets Eigendomsdata in één klik Percelen CRM
1.578 m2 - 273 m
Eigenaar opvragen
ALO00-T-356 (Anloo)
- 9467 PE
l4Z v1ngT5IORq 0WJjDVR0ozwIZgOUpgrade naar KadastraleKaart Pro
Bekijk op Street View
Download DWG/DXF/Excel
cJZCkMskUpgrade naar KadastraleKaart Pro
2NLSEiGQQHN iUpgrade naar KadastraleKaart Pro
MlLXEu xd9MohVlUpgrade naar KadastraleKaart Pro
dy75x c0I rUpgrade naar KadastraleKaart Pro
6pVIhiL55OvDRuXpSHzyUpgrade naar KadastraleKaart Pro
3vGI78oQ Upgrade naar KadastraleKaart Pro
pQOdk vgtpU36FyTKYPe0Upgrade naar KadastraleKaart Pro
bnSKSVq9D4T4AmhuJ8w pUpgrade naar KadastraleKaart Pro
TuRXzHBcAonkoUpgrade naar KadastraleKaart Pro
Famx 3 jUpgrade naar KadastraleKaart Pro
21/10/2008

Percelen
Gebruik de zoekbalk of klik op een perceel om informatie over het perceel te bekijken.