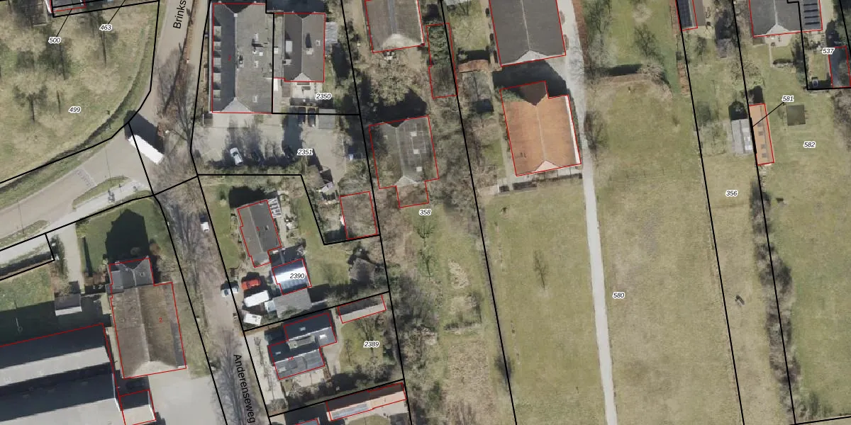
Perceel: ALO00-T-358
KadastraleKaart.com kan meer dan je denktOntdek meer ›
Filter op bestemming 50+ datasets Eigendomsdata in één klik Percelen CRM
2.881 m2 - 293 m
Eigenaar opvragen
ALO00-T-358 (Anloo)
- 9467 PE
o Load8ljDpijxiMIFrnqWvVhJYUpgrade naar KadastraleKaart Pro
Verkoopprijs opvragen
Bekijk op Street View
Download DWG/DXF/Excel
X0is HfwUpgrade naar KadastraleKaart Pro
tZDyr NpA4mPvK zGJjr 6Upgrade naar KadastraleKaart Pro
Du5 qTvtACChAzDkUpgrade naar KadastraleKaart Pro
9BhBS r2g1TBt1n9Hx2 Upgrade naar KadastraleKaart Pro
vUH6Sp9nk5szQyJjHBBteHUpgrade naar KadastraleKaart Pro
6yah2X1Ed DiK0t0cJY 2SUpgrade naar KadastraleKaart Pro
4r z3YaggfG5TUcUpgrade naar KadastraleKaart Pro
GyuDxeem4qP 90fHdKj522Upgrade naar KadastraleKaart Pro
7QJOdXw048 wi0J9Upgrade naar KadastraleKaart Pro
rF74 LgMEdAlqRNe349UqUpgrade naar KadastraleKaart Pro
21/10/2008

Percelen
Gebruik de zoekbalk of klik op een perceel om informatie over het perceel te bekijken.