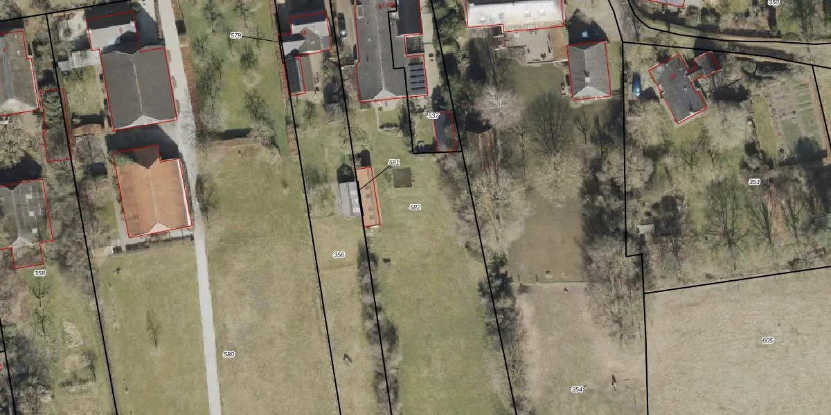
Perceel: ALO00-T-582
KadastraleKaart.com kan meer dan je denktOntdek meer ›
Filter op bestemming 50+ datasets Eigendomsdata in één klik Percelen CRM
2.833 m2 - 308 m
Eigenaar opvragen
ALO00-T-582 (Anloo)
- 9467 PE
yY2 wE V3gD2CWKSPhj4Wh CIUpgrade naar KadastraleKaart Pro
Verkoopprijs opvragen
Bekijk op Street View
Download DWG/DXF/Excel
uPVHh1M tUpgrade naar KadastraleKaart Pro
cusiDKHgpTvu4SAki Upgrade naar KadastraleKaart Pro
vTdGO YWQp 8coaUpgrade naar KadastraleKaart Pro
aqnqgAInp315AEoMUEg6jKrUpgrade naar KadastraleKaart Pro
xLbLw u94k Dw Upgrade naar KadastraleKaart Pro
cyo6CMqO0TtZxUpgrade naar KadastraleKaart Pro
ixD42Svp9JrxTAZdm0kUpgrade naar KadastraleKaart Pro
LQmkFQG9gsd2g1uWgUpgrade naar KadastraleKaart Pro
JhnLG wZkxSv2W v3Upgrade naar KadastraleKaart Pro
OH1 PJ2Vqs6W5cKOh41T7Upgrade naar KadastraleKaart Pro
21/10/2008

Percelen
Gebruik de zoekbalk of klik op een perceel om informatie over het perceel te bekijken.