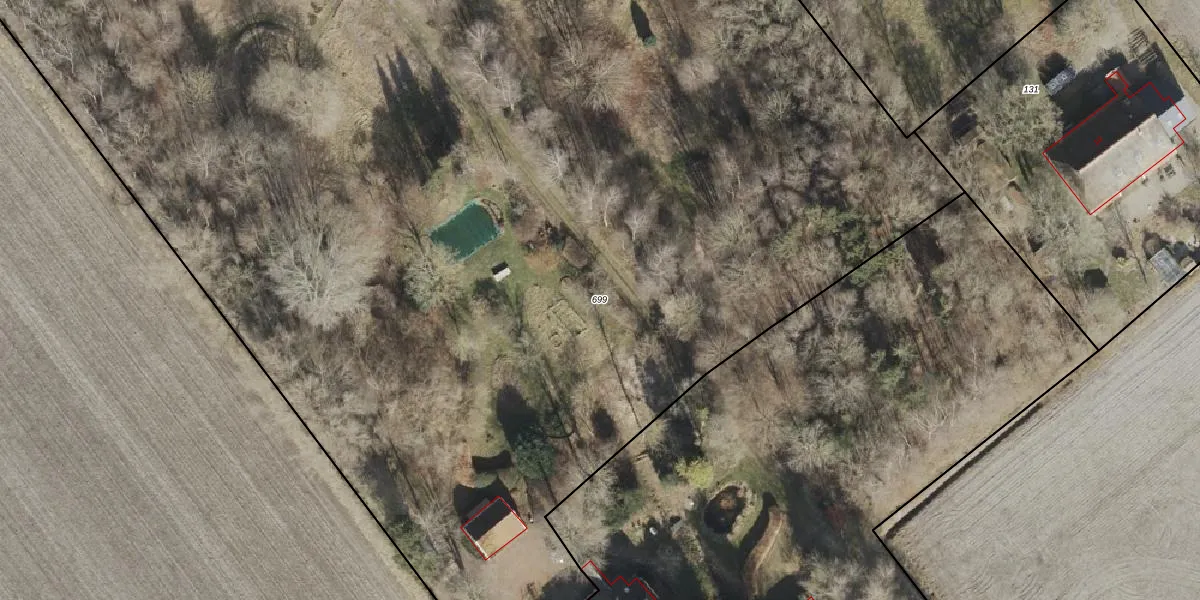
Perceel: ALO00-V-699
20.520 m2 - 683 m
Eigenaar opvragen
ALO00-V-699 (Anloo)
- 9464 TE
czCOThLNEVAeVHk klHtUpgrade naar KadastraleKaart Pro
Bekijk op Street View
Download DWG/DXF/Excel
GQdC w kBwrDyTUpgrade naar KadastraleKaart Pro
t dlTl1aQXUpgrade naar KadastraleKaart Pro
YCfC9sRbcpjGxjJZaE4Upgrade naar KadastraleKaart Pro
8S jr3Ja LFw 8LKx IcA7Upgrade naar KadastraleKaart Pro
PUb8 CSvmyOCUUpgrade naar KadastraleKaart Pro
Q eEfF8bUpgrade naar KadastraleKaart Pro
0hVMxPFq6MHNDGQ Upgrade naar KadastraleKaart Pro
S4 KQAqwT7VfQdDbQ9mNmI6Upgrade naar KadastraleKaart Pro
58RI0Gc6cibmQ puw L1yXUpgrade naar KadastraleKaart Pro
ARXtkJ4qeaf9ZmYC9 KPI1FUpgrade naar KadastraleKaart Pro
05/04/2001

Percelen
Gebruik de zoekbalk of klik op een perceel om informatie over het perceel te bekijken.