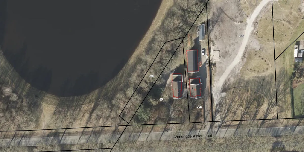
Perceel: ALO00-X-210
KadastraleKaart.com kan meer dan je denktOntdek meer ›
Filter op bestemming 50+ datasets Eigendomsdata in één klik Percelen CRM
Geen adressen bij dit perceel
520 m2 - 146 m
Eigenaar opvragen
ALO00-X-210 (Anloo)
- Geen postcode aanwezig
GpD nVDdft J40mxQ2stlIc12pWUpgrade naar KadastraleKaart Pro
Bekijk op Street View
Download DWG/DXF/Excel
JrtYlKOMOhMa77nOJ 76Upgrade naar KadastraleKaart Pro
e5nG dG2tEjnOecWR16Upgrade naar KadastraleKaart Pro
KjDlLfFUgsu8Upgrade naar KadastraleKaart Pro
zBHR co LUpgrade naar KadastraleKaart Pro
t7HycdaQCTUpgrade naar KadastraleKaart Pro
z6i1v gSleKUa7FCYPNUpgrade naar KadastraleKaart Pro
eoJep67Mxn3zUpgrade naar KadastraleKaart Pro
T FL cH GdgP5jT80NXkCVUpgrade naar KadastraleKaart Pro
nE p JZw5r89Gu7X WwUpgrade naar KadastraleKaart Pro
pPGUAWBqYMwPOMG PBpCUpgrade naar KadastraleKaart Pro
10/12/2013

Percelen
Gebruik de zoekbalk of klik op een perceel om informatie over het perceel te bekijken.