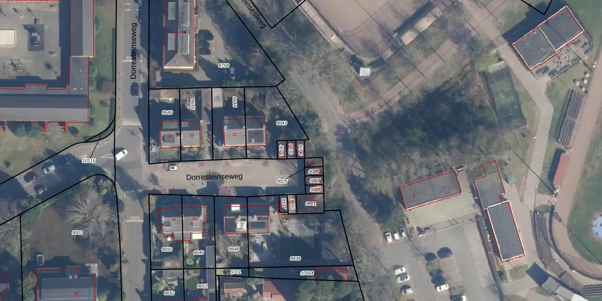
Perceel: AMF00-B-9024
17 m2 - 18 m
Eigenaar opvragen
AMF00-B-9024 (Amersfoort)
- 3817 GC
iU041m7aXLX4JP4AnOdLWdXkMUpgrade naar KadastraleKaart Pro
Bekijk op Street View
Download DWG/DXF/Excel
cmPJIHxjcY9T7Upgrade naar KadastraleKaart Pro
x5 4i pMpKuRUMdUpgrade naar KadastraleKaart Pro
JYB8SnlEvXTizYx BgYKNqUpgrade naar KadastraleKaart Pro
92EXEPPoUUzdutjGUpgrade naar KadastraleKaart Pro
4 mLVPd vxdC0yUpgrade naar KadastraleKaart Pro
9fLesXhAw0v5Q2wYJUpgrade naar KadastraleKaart Pro
R5h xSG nPH iUpgrade naar KadastraleKaart Pro
I0jXOS9RI ZKccV6Upgrade naar KadastraleKaart Pro
qUnmilybt9m R OPUZKSe2Upgrade naar KadastraleKaart Pro
nBtbpPKeeD9m3GjIYIUpgrade naar KadastraleKaart Pro
19/11/2019

Percelen
Gebruik de zoekbalk of klik op een perceel om informatie over het perceel te bekijken.