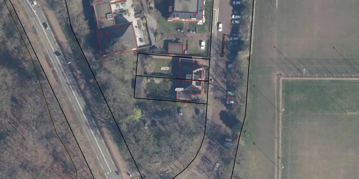
Perceel: AMF00-D-10370
505 m2 - 107 m
Eigenaar opvragen
AMF00-D-10370 (Amersfoort)
- 3819 BA
oi8ZdXm6PHUyVi4iqo8bQZvZQkH25W2Upgrade naar KadastraleKaart Pro
Verkoopprijs opvragen
Bekijk op Street View
Download DWG/DXF/Excel
kj0ysdplTjIURQgnBsUpgrade naar KadastraleKaart Pro
NnTngOltkDYR6CVfU0OrhUpgrade naar KadastraleKaart Pro
kdlWh fpK9Upgrade naar KadastraleKaart Pro
TG MV 5PgUpgrade naar KadastraleKaart Pro
Yxb4YXbtcnjEauTsM5 1AUpgrade naar KadastraleKaart Pro
XQTgeTME MUpgrade naar KadastraleKaart Pro
dCcC yHk3hPou8kWoj8Upgrade naar KadastraleKaart Pro
tYsoNTDkvUpgrade naar KadastraleKaart Pro
OmgzAxx m1Upgrade naar KadastraleKaart Pro
K QZH7zZZoA9 PGaE6zgUpgrade naar KadastraleKaart Pro
07/03/2011

Percelen
Gebruik de zoekbalk of klik op een perceel om informatie over het perceel te bekijken.