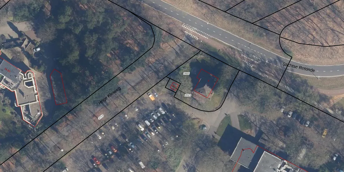
Perceel: AMF00-F-2023
42 m2 - 26 m
Eigenaar opvragen
AMF00-F-2023 (Amersfoort)
- 3818 GV
SFKwA8nj DYc1dmIrQfGa0N ycf5R0Upgrade naar KadastraleKaart Pro
Bekijk op Street View
Download DWG/DXF/Excel
N818goDTrO6ck7VUpgrade naar KadastraleKaart Pro
nGHvs EeJfpAAF9FWv0Upgrade naar KadastraleKaart Pro
HuxoYpJ9 VURsXZ970CH6NNUpgrade naar KadastraleKaart Pro
A99w3KCHijHUpgrade naar KadastraleKaart Pro
2R6 VZmCXBZ5Upgrade naar KadastraleKaart Pro
uExJIC NXe7Riu2Upgrade naar KadastraleKaart Pro
e33S rLn B ltBUpgrade naar KadastraleKaart Pro
1qGQNNFvL kFmlOj Upgrade naar KadastraleKaart Pro
zE1 CHuKgt0Xj6AMZUpgrade naar KadastraleKaart Pro
wqaaIAa TK0LroMF7lQUpgrade naar KadastraleKaart Pro
20/11/2007

Percelen
Gebruik de zoekbalk of klik op een perceel om informatie over het perceel te bekijken.