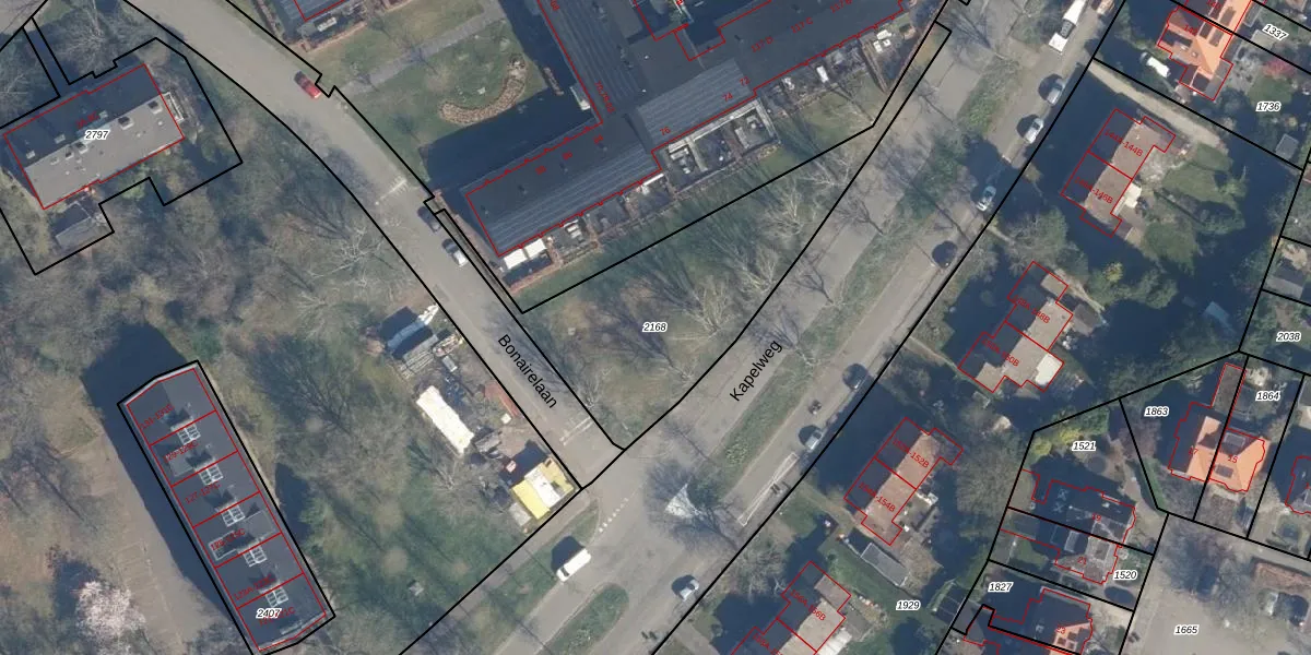
Perceel: AMF00-F-2168
Geen adressen bij dit perceel
1.115 m2 - 231 m
Eigenaar opvragen
AMF00-F-2168 (Amersfoort)
- Geen postcode aanwezig
paiTA8CeaWX0lOXTjwyPU2yemcUpgrade naar KadastraleKaart Pro
Bekijk op Street View
Download DWG/DXF/Excel
QiW8x5mjNXw8 ZQdLdMUpgrade naar KadastraleKaart Pro
xEzmjezM7iEmUpgrade naar KadastraleKaart Pro
ZZXvk t043bidZzUpgrade naar KadastraleKaart Pro
8AW W zUsPCN1ICWHbUpgrade naar KadastraleKaart Pro
SFR1NkYA SSZx4wYTPUpgrade naar KadastraleKaart Pro
xFabpPoJ u weDUpgrade naar KadastraleKaart Pro
mR3hzoi wmjvUpgrade naar KadastraleKaart Pro
dl5AAPdoUpgrade naar KadastraleKaart Pro
s6YbtcEVKGPo5VAUpgrade naar KadastraleKaart Pro
5GS3OyummXUpgrade naar KadastraleKaart Pro
19/09/1997

Percelen
Gebruik de zoekbalk of klik op een perceel om informatie over het perceel te bekijken.