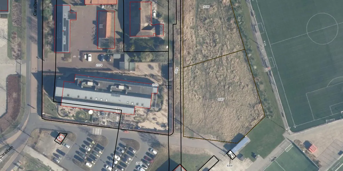
Perceel: AMF00-P-2772
Geen adressen bij dit perceel
473 m2 - 268 m
Eigenaar opvragen
AMF00-P-2772 (Amersfoort)
- Geen postcode aanwezig
PcQN6IplAlyPhK9g u2 Upgrade naar KadastraleKaart Pro
Bekijk op Street View
Download DWG/DXF/Excel
eVdwvlN S0pi PrbAyWVUpgrade naar KadastraleKaart Pro
vETHM13eqAQ9 aUpgrade naar KadastraleKaart Pro
xjqtkCr7saHuEl0QH Upgrade naar KadastraleKaart Pro
AB3E5xTmjcfnUpgrade naar KadastraleKaart Pro
iT23TG 4ObR4Ipd7LUpgrade naar KadastraleKaart Pro
S4trgK R2Upgrade naar KadastraleKaart Pro
GssZCA Z7Upgrade naar KadastraleKaart Pro
quvXe1qth56PheLCUpgrade naar KadastraleKaart Pro
zPm0qojM5dUpgrade naar KadastraleKaart Pro
GFxd2jrCJZ1aWhtRbUpgrade naar KadastraleKaart Pro
15/12/2009

Percelen
Gebruik de zoekbalk of klik op een perceel om informatie over het perceel te bekijken.