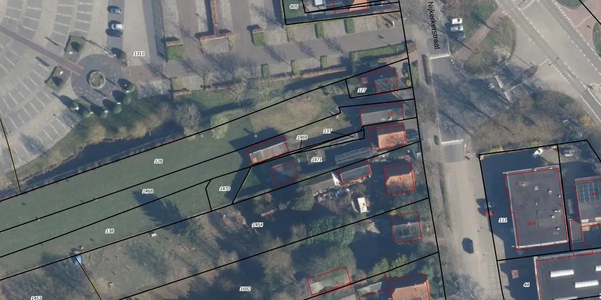
Perceel: AMF00-R-1469
Geen adressen bij dit perceel
17 m2 - 81 m
Eigenaar opvragen
AMF00-R-1469 (Amersfoort)
- Geen postcode aanwezig
6ZFnd9TyeW0maCjcV0Upgrade naar KadastraleKaart Pro
Bekijk op Street View
Download DWG/DXF/Excel
0PHUfaZpuWl ZJNGegYJUpgrade naar KadastraleKaart Pro
8BJOqHG Upgrade naar KadastraleKaart Pro
up3rNMS04NUpgrade naar KadastraleKaart Pro
7F Znn76Rvh q3SUpgrade naar KadastraleKaart Pro
nVLv80S SZUpgrade naar KadastraleKaart Pro
mQHGBKcBqWCUpgrade naar KadastraleKaart Pro
zOqGQPC5 yUpgrade naar KadastraleKaart Pro
VT7f6J rbcRaOA9YlnUpgrade naar KadastraleKaart Pro
sxA1qCC 060Upgrade naar KadastraleKaart Pro
MM DDEBpC67fVUpgrade naar KadastraleKaart Pro
25/06/2020

Percelen
Gebruik de zoekbalk of klik op een perceel om informatie over het perceel te bekijken.