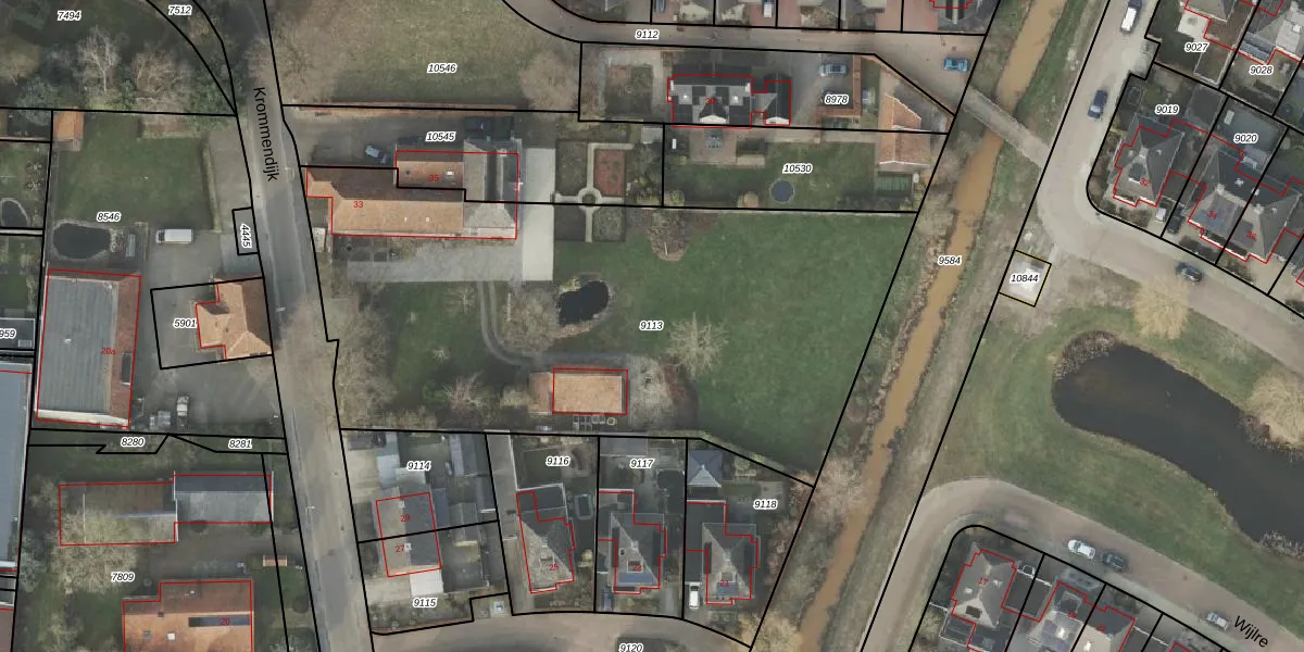
Perceel: AML01-B-9113
3.150 m2 - 262 m
Eigenaar opvragen
AML01-B-9113 (Ambt-Almelo)
- 7603 NJ
17LBXvmu4ZIuhBLamS8lCmUpgrade naar KadastraleKaart Pro
Verkoopprijs opvragen
Bekijk op Street View
Download DWG/DXF/Excel
DnNoBU HypXuUpgrade naar KadastraleKaart Pro
Qw7MzQyY p8E dOIWz9ybUpgrade naar KadastraleKaart Pro
gp qU49yZf6Upgrade naar KadastraleKaart Pro
GLf0BHm6TWOsRqRriLUpgrade naar KadastraleKaart Pro
9voBgnrIpYWxUpgrade naar KadastraleKaart Pro
1vlZqVSkDLPz22vRUpgrade naar KadastraleKaart Pro
o rGJ8kEImTU4YqEeUpgrade naar KadastraleKaart Pro
bTlWUcn1lSFcUZRxI tUpgrade naar KadastraleKaart Pro
BdhE QtNaUUpgrade naar KadastraleKaart Pro
SdCp5KRYUpgrade naar KadastraleKaart Pro
22/12/2020

Percelen
Gebruik de zoekbalk of klik op een perceel om informatie over het perceel te bekijken.