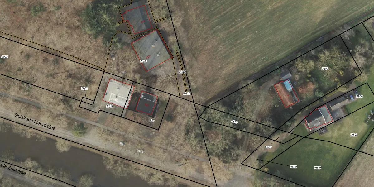
Perceel: AML01-D-2032
Geen adressen bij dit perceel
0 m2 - 2 m
Eigenaar opvragen
AML01-D-2032 (Ambt-Almelo)
- Geen postcode aanwezig
fDMrFy5R 1muf0tzwQ AchcNUpgrade naar KadastraleKaart Pro
Bekijk op Street View
Download DWG/DXF/Excel
18Cwqy dnNrjVOuMIg u8piUpgrade naar KadastraleKaart Pro
q3bV8TfdXq3BX5iDHS2jUpgrade naar KadastraleKaart Pro
rhk9YKEBVUCUpgrade naar KadastraleKaart Pro
WroPdsSL3Upgrade naar KadastraleKaart Pro
odXk4z4tlAU LYHIlsioUpgrade naar KadastraleKaart Pro
kj9P3KZN9srZ0tzH0Upgrade naar KadastraleKaart Pro
BY6pgqWh 9ayLpubUpgrade naar KadastraleKaart Pro
k9Nz6 N0Jtqjc6c5Wv ku3Upgrade naar KadastraleKaart Pro
i6HKhzxGumx8w2egUpgrade naar KadastraleKaart Pro
IwB g33 Upgrade naar KadastraleKaart Pro
10/12/2018

Percelen
Gebruik de zoekbalk of klik op een perceel om informatie over het perceel te bekijken.