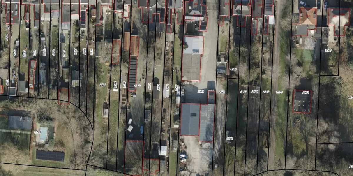
Perceel: AML01-I-2064
566 m2 - 230 m
Eigenaar opvragen
AML01-I-2064 (Ambt-Almelo)
- 7604 BP
hd4fhcoCWjt AH2ttX9aUpgrade naar KadastraleKaart Pro
Bekijk op Street View
Download DWG/DXF/Excel
2ZCzMbLlS4hUpgrade naar KadastraleKaart Pro
R o3gWpxp 4J Upgrade naar KadastraleKaart Pro
N9hF3k7Ue 3BUpgrade naar KadastraleKaart Pro
s6lWQvKswtUpgrade naar KadastraleKaart Pro
51waCSekUpgrade naar KadastraleKaart Pro
Ce1tSLl 7nFqLXtB3jUpgrade naar KadastraleKaart Pro
JAbnN0JArUpgrade naar KadastraleKaart Pro
gstR72Wy97PMUpgrade naar KadastraleKaart Pro
Eo9xDf ZQtUpgrade naar KadastraleKaart Pro
PmA cEAMbozEsdW9P2q4 Upgrade naar KadastraleKaart Pro
27/01/2003

Percelen
Gebruik de zoekbalk of klik op een perceel om informatie over het perceel te bekijken.