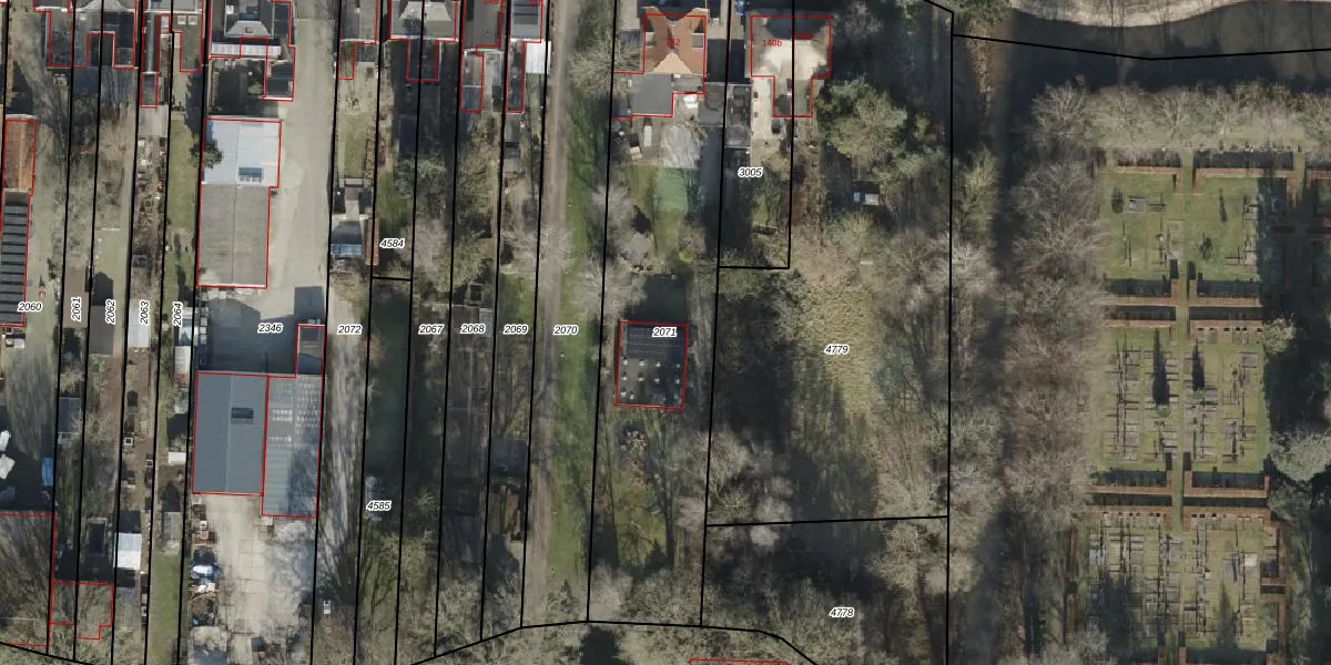
Perceel: AML01-I-2071
1.701 m2 - 234 m
Eigenaar opvragen
AML01-I-2071 (Ambt-Almelo)
- 7604 BP
qfd6TuCa64g8kDhyfaMTHkECfNBNtEvUpgrade naar KadastraleKaart Pro
Verkoopprijs opvragen
Bekijk op Street View
Download DWG/DXF/Excel
8 9 uCLr6Q8MUpgrade naar KadastraleKaart Pro
2x 2GjQyUu63EwV Rx9QevUpgrade naar KadastraleKaart Pro
zjPM2bFArHr1Upgrade naar KadastraleKaart Pro
K dXXhuLm mGoKB8sooUpgrade naar KadastraleKaart Pro
T HoRP 3NftY0Upgrade naar KadastraleKaart Pro
lZvEOwMzjHi6 Z9SXMb6Upgrade naar KadastraleKaart Pro
TrLejJnb6kjoSvkxgUpgrade naar KadastraleKaart Pro
G0EWVUc rXehUpgrade naar KadastraleKaart Pro
vuinRveqAmxB4Su1Upgrade naar KadastraleKaart Pro
RKvQ Cb7uf3 bUpgrade naar KadastraleKaart Pro
26/08/2025

Percelen
Gebruik de zoekbalk of klik op een perceel om informatie over het perceel te bekijken.