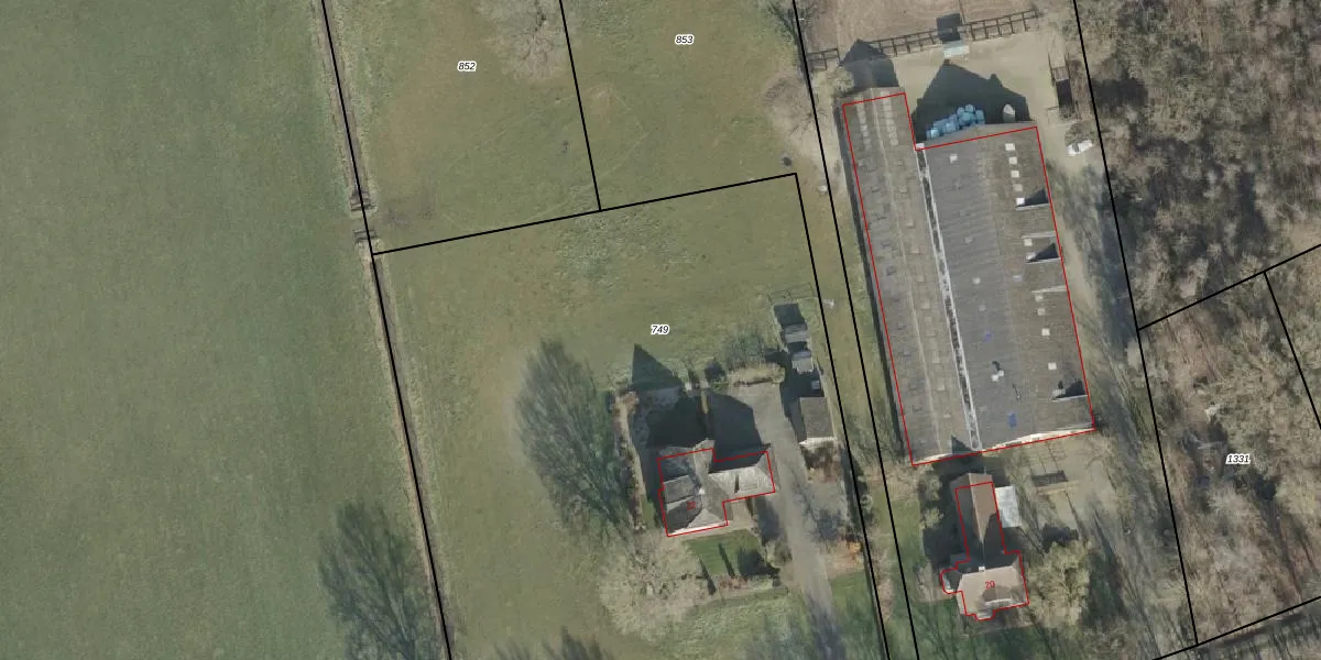
Perceel: AML01-P-749
6.150 m2 - 320 m
Eigenaar opvragen
AML01-P-749 (Ambt-Almelo)
- 7627 PC
6lsqn71eS aVii2fSxUpgrade naar KadastraleKaart Pro
Bekijk op Street View
Download DWG/DXF/Excel
OU8PyrFVpeUpgrade naar KadastraleKaart Pro
Zf6gpNilhKoUpgrade naar KadastraleKaart Pro
bHk 6MkUDeb 9ofakcOUpgrade naar KadastraleKaart Pro
z3SlsXPQ6U7CfaCVjYf5F0Upgrade naar KadastraleKaart Pro
aqbfr 1V9 Cr7aKgjhUpgrade naar KadastraleKaart Pro
Vnsw5PwmwPhLuUpgrade naar KadastraleKaart Pro
rjCprIUNDGliiKPdbjWUpgrade naar KadastraleKaart Pro
ZIm7qC6jHUpgrade naar KadastraleKaart Pro
wSX cwIN3j F1wUpgrade naar KadastraleKaart Pro
Nm xC6 6w Upgrade naar KadastraleKaart Pro
26/03/2009

Percelen
Gebruik de zoekbalk of klik op een perceel om informatie over het perceel te bekijken.