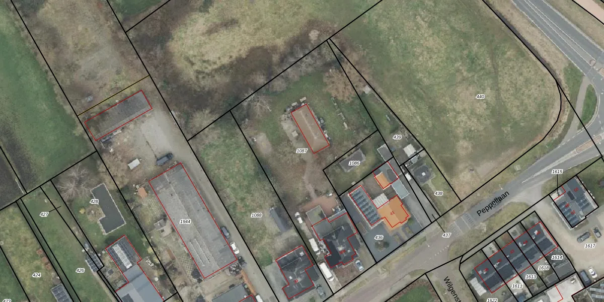
Perceel: AML01-R-1087
1.965 m2 - 219 m
Eigenaar opvragen
AML01-R-1087 (Ambt-Almelo)
- 7611 BB
Px3tQITYO FTPA Ka2xHE39Xf9sHGUpgrade naar KadastraleKaart Pro
Bekijk op Street View
Download DWG/DXF/Excel
7s ob9gNDyT9qlQTUpgrade naar KadastraleKaart Pro
PZcfcwqY1lKiGzqc6Upgrade naar KadastraleKaart Pro
9M 2Lr6tCxcaMnK Upgrade naar KadastraleKaart Pro
SC1kSIMpbhlm dUpgrade naar KadastraleKaart Pro
rkS9sjjL X0 mHkPMt3Upgrade naar KadastraleKaart Pro
jR5m6HuPUUpgrade naar KadastraleKaart Pro
C7AuseDCEYiUpgrade naar KadastraleKaart Pro
MYCxhV3D7WrH1UvXYgPrUpgrade naar KadastraleKaart Pro
i4rKX21 qvhyrlU Upgrade naar KadastraleKaart Pro
cI 10 tBrNUpgrade naar KadastraleKaart Pro
20/05/2003

Percelen
Gebruik de zoekbalk of klik op een perceel om informatie over het perceel te bekijken.